Hebridae

Les Hebridae sont une famille d'insectes hémiptères hétéroptères (punaises) semi-aquatiques, de la super-famille des Hebroidea. Elle compte 221 espèces réparties en neuf genres[1].

En anglais, elles sont appelées « velvet water bugs », littéralement « punaises d'eau de velours », en référence à l'aspect velouté de leur face dorsale, ou « sphagnum bugs »[2], « punaises des sphaignes », en référence à leur habitat.

Répartition et habitat

Cette famille est représentée sur tous les continents et colonise les zones humides, notamment les zones de litière humide, les plantes aquatiques à la surface de l'eau (Lemna, lentilles d'eau), ou encore les bordures de plans d'eau.

En Europe, huit espèces peuvent être rencontrées, appartenant aux genres Hebrus et Merragata[3]. La zone néarctique compte quant à elle quinze espèces dans trois genres (Hebrus, Merragata et Lipogomphus)[4].

Caractéristiques

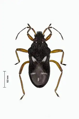
Les Hebridae mesurent entre 1 et 4 mm de long. Leur scutellum est visible, non couvert par le pronotum, à la différence d'autres familles de punaises aquatiques. Les pattes ont des tarses avec seulement deux articles, le premier très court, ce qui les distingue des Mesoveliidae, qui ont des tarses à trois articles. Les antennes ont quatre ou cinq articles apparents. Le rostre est entouré à la base par des buccules développées (plis formant une gouttière). La tête présente des ocelles. Ces punaises peuvent avoir des ailes bien développées, réduites ou absentes[1]. La face ventrale de l'abdomen est couverte d'une dense pubescence argentée.

Écologie

Il s'agit d'insectes prédateurs ou nécrophages, se nourrissant de petits arthropodes, tels que des collemboles[2].

Systématique

Le nom scientifique de ce taxon est Hebridae Amyot & Serville, 1843[5]. L'entomologiste français Charles Jean-Baptiste Amyot l'a créé dans son ouvrage Histoire naturelle des insectes Hémiptères[6] pour y placer le genre Hebrus, alors le seul découvert, qu'il estimait nécessaire de séparer des Supéricornes (groupe qui intégrait notamment les Coreidae) ainsi que des Vélies (Veliidae), en raison des caractéristiques de ses tarses et de son rostre.

L'origine du nom est dérivée du genre Hebrus Curtis, 1831, et renvoie à l'Hèbre, nom antique du fleuve Maritsa, en Bulgarie.

Cette famille est considérée comme la seule de la super-famille des Hebroidea, bien que certains auteurs[5] placent également dans cette dernière les Macroveliidae McKinstry, 1942 et les Paraphrynoveliidae Andersen, 1978, que d'autres considèrent comme faisant partie des Hydrometroidea[1].

Liste sous-familles et des genres

Selon GBIF (19 mars 2022)[7] :

  • Sous-famille des Hebrinae Amyot & Serville, 1843
    • Austrohebrus Andersen & Weir, 2004 – 1 espèce
    • Hebrometra Cobben, 1982 – 4 espèces
    • Hebrus Curtis, 1831 – 164 espèces, dont le sous-genre Hebrusella Poisson, 1944
    • Lipogomphus Berg, 1879 – 4 espèces
    • Merragata Buchanan-White, 1877 – 7 espèces
    • Neotimasius Andersen, 1981 – 2 espèces
    • Timasius Distant, 1909 – 39 espèces
    • deux genres fossiles: †Miohebrus Garrouste & Nel, 2010, †Stenohebrus J.Polhemus, 1995
  • Sous-famille des Hyrcaninae Andersen, 1981
    • Hyrcanus Distant, 1910 – 10 espèces
    • Nieserius Zettel, 1999 – 3 espèces

Galerie

Liens externes

Notes et références

  1. 1 2 3 Henri-Pierre Aberlenc, Les insectes du monde : biodiversité, classification, clés de détermination des familles, Mauguio, Editions Museo, , 1847 p. (ISBN 978-2-37375-101-7 et 2-37375-101-1, OCLC 1250021162, lire en ligne), tome 1, p. 509, tome 2 p. pp. 241-242
  2. 1 2 (en) « Insects of Britain and Ireland: Hemiptera families - Hebridae », sur www.delta-intkey.com (consulté le )
  3. Fauna Europaea, consulté le 19 mars 2022.
  4. (en) « Family Hebridae - Velvet Water Bugs », sur bugguide.net (consulté le )
  5. 1 2 Integrated Taxonomic Information System (ITIS), www.itis.gov, CC0 https://doi.org/10.5066/F7KH0KBK, consulté le 19 mars 2022.
  6. Charles Jean Baptiste Amyot et Jean Guillaume Audinet Serville, Histoire naturelle des insectes, Paris, A la librairie encyclopédique de Roret, Rue Hautefeuille, 12, , 675 p. (lire en ligne), pp. 293-295
  7. GBIF Secretariat. GBIF Backbone Taxonomy. Checklist dataset https://doi.org/10.15468/39omei accessed via GBIF.org, consulté le 19 mars 2022.
  • icône décorative Portail de l’entomologie