Infrared Optical Telescope Array

| Type |
Interféromètre optique à longue base, télescope optique (en), observatoire |
|---|---|
| Observatoire | |
| Fermeture | |
| Démolition | |
| Site web |
| Localisation | |
|---|---|
| Coordonnées |
31° 41′ 29″ N, 110° 53′ 06″ O |

IOTA (acronyme signifiant Infrared and Optical Telescope Array) était un interféromètre optique à longue base initialement construit par un consortium constitué du Harvard College Observatory, du laboratoire Lincoln du MIT, du Smithsonian Astrophysical Observatory, de l'Université du Massachusetts et de celle du Wyoming. Il était implanté en Arizona, sur le Mont Hopkins (en), à une quarantaine de kilomètres de Tucson et a obtenu ses premières franges en , sur un petit ressaut en dessous du Monolithic Mirror Telescope (MMT). Il était constitué de deux, puis trois sidérostats pouvant se déplacer le long de rails disposés en L.

Sa fermeture et son démantèlement ont eu lieu le [1], par manque de fonds.
Géométrie de l'interféromètre

La géométrie est un élément de toute première importance. Elle détermine :
- la qualité de la reconstruction éventuelle d'image que peut fournir l'interféromètre, via ce que l'on appelle la couverture du plan (u,v), c'est-à-dire l'échantillonnage en fréquences spatiales
- les paramètres d'observation, tels que la vitesse naturelle des franges durant une observation ou encore le temps pendant lequel une source restera observable sans reconfiguration de l'instrument.
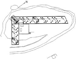
Dans le cas d'IOTA il a fallu tenir compte de contraintes géographiques qui ont quasiment imposé sa géométrie. Vu de loin l'interféromètre a une forme de L (voir figure). Le plus long bras a une longueur de 35 mètres et le plus petit une longueur de 15 mètres. Les télescopes, construits sur des structures mobiles, peuvent être disposés le long des deux bras sur des montures trait-point-plan. Ces montures assurent une très bonne reproductibilité des bases. Les ouvertures sont disposées sur l'une des dix-sept montures situées à des multiples de 5 mètres ou 7,04 mètres de l'intersection des deux branches du L (197 et 277 pouces plus exactement). Les longueurs de base disponibles vont de 5 à 38 mètres. Le bras Nord-Est (le bras long, que l'on désigne souvent par l'appellation « bras Nord » par opposition au « bras Sud » qui, lui, désigne le bras court) fait un angle approximatif de 45° avec le Nord.

En raison de la configuration en L d'IOTA, on ne peut accéder qu'aux fréquences spatiales situées à l'intérieur d'un cône dont l'angle dépend de la position de l'étoile dans le ciel. Une source à 60° de déclinaison, compte tenu des limitations en pointage d'IOTA est visible de -2h40m à +1h40m de son passage au méridien. Avec la plus grande base d'IOTA on accède à des longueurs d'onde de 3,77 µm (bande spectrale L') et 4,61 µm (bande spectrale M) à des fréquences spatiales respectivement de l'ordre de 50 et 40 cycles/seconde d'angle. On peut donc atteindre le premier zéro de la courbe de visibilité des objets dont le diamètre est supérieur à 25 millisecondes d'angle et le deuxième zéro pour des objets de taille plus grande que 45 millisecondes d'angle pour la bande L' (respectivement 30 et 55 millisecondes d'angle pour la bande M).
Parcours d'un photon dans IOTA
Un photon venu d'une étoile est tout d'abord capté par un sidérostat d'une taille de 40 cm, qui le renvoie vers un télescope de type Cassegrain dont le miroir primaire d'un diamètre de 4 centimètres limite le faisceau. Le sidérostat est installé sur une monture azimutale motorisée, permettant le suivi de l'étoile. Les deux miroirs paraboliques qui constituent le télescope forment un système afocal, ce qui permet d'obtenir une compression du faisceau totale d'un facteur 10.
Le photon est alors renvoyé sur un petit miroir plan dit de tip-tilt (basculement en français), dont les deux axes sont motorisés, et dont la mission est de redresser le front d'onde. Cette opération est rendue nécessaire pour deux raisons :
- la turbulence atmosphérique. L'atmosphère provoque en effet des basculements aléatoires du front d'onde. Il s'agit du premier ordre de la turbulence atmosphérique, après le retard de phase ;
- l'inadéquation de l'axe de pointage et de la direction de l'étoile au cours de son suivi par le sidérostat.
Le miroir de basculement est commandé en suivant en permanence la position du centroïde de l'image visible de l'étoile.
Notre photon est ensuite envoyé dans la ligne à retard, via un miroir de renvoi. Il y subira, sous vide, huit réflexions avant d'en émerger dans le laboratoire interférométrique. Deux dièdres constituent le dispositif optique de la ligne à retard proprement dite, permettant de retarder le faisceau provenant soit du télescope Sud (cas le plus courant en raison de la géométrie de l'interféromètre), soit du télescope Nord.
Voir aussi
Articles connexes
Liens externes
- (en) Site de l'observatoire.
Sources et références
- Portail de l’architecture et de l’urbanisme
- Portail de l’astronomie
- Portail de l’Arizona