Opilo
Opilo
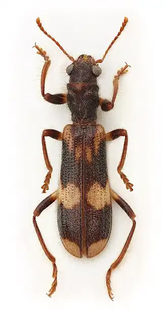
Opilo mollis
Opilo est un genre d'insectes de l'ordre des coléoptères, de la famille des Cleridae.
Les larves vivent dans le bois et se nourrissent d'insectes xylophages.
Synonymie
- Eupocus Illiger, 1807
- Notoxus Fabricius, 1775
- Opilus Latreille, 1806
Liste d'espèces
Selon BioLib (6 avril 2018)[1] :
- Opilo abeillei Korge, 1960
- Opilo barbarus (Abeille de Perrin, 1893)
- Opilo cilicicus Hintz, 1902
- Opilo difficilus Schenkling, 1912
- Opilo domesticus (Sturm, 1837)
- Opilo formosanus Schenkling, 1912
- Opilo mityatakei Yoshimichi, 2004
- Opilo mollis (Linnaeus, 1758)
- Opilo orocastaneus Zappi & Pantaleoni, 2010
- Opilo pallidus (Olivier, 1795)
- Opilo sordidus Westwood, 1852
- Opilo taeniatus (Klug, 1842)
- Opilo tilloides (Chevrolat, 1876)
- Opilo triangulus Schenkling, 1902
Selon ITIS (6 avril 2018)[2] :
- Opilo domesticus (Sturm, 1837)
- Opilo mollis (Linnaeus, 1758)
Références
Liens externes
- (en) BioLib : Opilo Latreille, 1802
- (fr + en) ITIS : Opilo Latreille, 1802
- Portail de l’entomologie