Ouragan Dennis (1999)

Ouragan Dennis
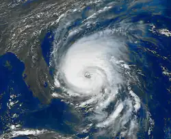
Image illustrative de l’article Ouragan Dennis (1999)

Apparition
Dissipation

Catégorie maximale Ouragan catégorie 2
Pression minimale 962 hPa
Vent maximal
(soutenu sur 1 min)
165 km/h

Dommages confirmés 157 millions $US (de 1 999)
210 millions $US(de 2 009)
Morts confirmés 4 directs
Blessés confirmés N/D

Zones touchées
 

Parcours de Dennis
Parcours de Dennis
Échelle de Saffir-Simpson
DT12345
Saison cyclonique 1999 dans l'océan Atlantique nord

L’ouragan Dennis a été le quatrième système tropical à recevoir un nom durant la saison 1999. Sa trajectoire et son intensité ont été erratiques. Bien qu'il ait atteint la catégorie 2 de l'échelle de Saffir-Simpson, il était déjà retombé sous le niveau d'ouragan lorsqu'il a touché la côte. Malgré tout, il a donné des vents de force d'ouragan à la côte de la Caroline du Nord, causé pour 157 millions $US (de 1999) et tué quatre personnes. La pluie abondante qu'a laissée Dennis a détrempé le sol et a amplifié les effets de l'ouragan Floyd qui est passé dans la même région deux semaines plus tard.

Malgré les dégâts, le nom Dennis n'a pas été retiré des listes futures avant le passage de l’ouragan Dennis de 2005.

Évolution météorologique

Une onde tropicale, précédant celle qui donnera naissance à Emily, quitte l'Afrique le . Aucune organisation de la convection ne se produit avant le . Le , au nord des Grandes Antilles, la dépression tropicale Cinq se forme. Atteignant le statut de tempête tropicale, le nom de Dennis lui est attribué[1].

Se creusant à partir du 25, Dennis devient un ouragan le 26 et atteint son maximum d'intensité le [1]. Il maintient ce niveau jusqu'au 30 mais son centre n'a jamais été très concentré alors que son œil avait de 50 à 60 km de diamètre et que certains rapports par des avions de reconnaissance n'ont même pas repéré ce dernier[1]. Les conditions deviennent très difficiles fin août pour Dennis. De l'air sec, un front froid et le cisaillement du vent lui ont peut-être fait perdre ses caractéristiques tropicales durant quelques heures le 1er ou le . Il redevient en tout cas une tempête tropicale.

Bloqué dans sa progression vers le nord par un anticyclone au-dessus de la Nouvelle-Angleterre, Dennis rebrousse chemin. Il erre quelque temps au large de la Caroline du Nord, et reprend un peu de puissance. Il touche terre au sud des Outer Banks en tant que puissante tempête tropicale de . Il survivra plusieurs jours au-dessus des terres pour devenir extratropical le tout en poursuivant une trajectoire erratique. Finalement, il est absorbé par une dépression continentale le [1].

Impacts

Accumulations de pluie avec Dennis (1 pouce = 2,54 mm)

Dennis a causé 157 millions $US (de 1999) de dégâts aux États-Unis et a tué 4 personnes en Floride. Sa trajectoire est passée juste à l'est des Bahamas et de la Floride avant de frapper la Caroline du Nord. Les restes de Dennis ont atteint le Maryland entre 4 et le puis se sont dirigés vers le nord. Partout lors de son passage, des pluies abondantes sont tombées.

La zone la plus affectée a été l'est de la Caroline du Nord et le sud de la Virginie, là où Dennis est entré dans les terres. Il est tombé un maximum de 506 mm à Ocracoke, dans les Outer Banks, et de 170 mm à 400 mm dans le reste de cette zone ce qui a causé des inondations importantes[2]. Comme Dennis est resté plusieurs jours près de la côte avant d'entrer dans les terres, il a causé beaucoup d'érosion des plages et des routes côtières. En particulier, les habitants de l'île Hatteras et de celle d'Ocracoke ont été coupés du monde durant plusieurs jours à la suite de la fermeture de la route 12 qui parcourt les Outer Banks[3].

En Pennsylvanie, il est tombé entre 100 et 200 mm de pluie, dont 185 mm à Lewisburg, ce qui a causé des crues subites qui ont été comparées à celle produites par l'ouragan Agnes de 1972[4]. Des centaines de maisons, de commerces et de routes ont été endommagés par les inondations[5],[6],[7]. Un quartier entier de Swatara Township a dû être évacué car la crue atteignait 2,4 mètres[8]. Des coulées de boue ont fermé deux routes au nord de Liverpool[9].

Dommages à la Route 12 dans les Outer Banks

Au Maryland, il est tombé 142 mm à Clarksburg, 114 mm à Glenmont et 112 mm à Gaithersburg. Les vents ont soufflé jusqu'à 56 km/h ce qui a brisé des branches et causé quelques pannes électriques. On a rapporté des inondations côtières à cause des vagues et de la marée. Un garçon de 13 ans a été emporté par la crue de la Jones Falls Creek. À Baltimore, les vagues sont passées par-dessus le mur de protection du port[10]. À Washington, l’aéroport national Ronald Reagan a rapporté 59 mm. La ville a subi quelques inondations et les autorités ont dû construire une digue le long du Potomac[11] Le Delaware a également reçu de fortes quantités de pluie[12].

Le long de la trajectoire de Dennis, on a noté un mince corridor où les accumulations de pluie ont été supérieures à 50 millimètres à l'heure dans certains secteurs de l'État de New York causant des inondations dans les routes, jusqu'à près d’un mètre par endroits, et les sous-sols. Les pluies les plus fortes ont été enregistrées dans les secteurs élevés des comtés de Orange et Rockland[13].

À New York, une période de chaleur torride avant l'arrivée de Dennis et ensuite ses pluies, ont permis l'éclosion d'un grand nombre de moustiques porteurs de maladies[14]. Grâce au gradient de pression entre Dennis et un large anticyclone sur l'Est du Canada et la Nouvelle-Angleterre, les vents d'est ont permis une forte houle sur la côte du New Jersey qui, ajoutée à la marée, a causé des inondations côtières mineures et de l'érosion des plages[15].

Les accumulations significatives de pluie ont même atteint la Nouvelle-Angleterre où 76 mm a été enregistré[12]

Notes et références

  1. 1 2 3 4 (en) Jack Beven, « Hurricane Dennis 24 August - 7 September 1999 », National Hurricane Center, (consulté le )
  2. (en) « Hurricane Dennis - August 28-September 8, 1999 », Hydrometeorological Prediction Center (consulté le )
  3. (en) National Climatic Data Center, « Climate-Watch, August 1999 », NOAA, (consulté le )
  4. (en) David Roth, « Tropical Cyclone Rainfall in the Mid-Atlantic », Hydrometeorological Prediction Center (consulté le )
  5. (en) National Climatic Data Center, « Flash Flood Event Report for Pennsylvania », NOAA, (consulté le )
  6. (en) National Climatic Data Center, « Flash Flood Event Report for Pennsylvania (2) », NOAA, (consulté le )
  7. (en) National Climatic Data Center, « Flash Flood Event Report for Pennsylvania (3) », NOAA, (consulté le )
  8. (en) National Climatic Data Center, « Flash Flood Event Report for Pennsylvania (4) », NOAA, (consulté le )
  9. (en) National Climatic Data Center, « Flash Flood Event Report for Pennsylvania (5) », NOAA, (consulté le )
  10. (en) National Climatic Data Center, « Heavy Rain Event Report for Maryland », NOAA, (consulté le )
  11. (en) National Climatic Data Center, « Heavy Rain Event Report for the District of Columbia », NOAA, (consulté le )
  12. 1 2 (en) David Roth, « Tropical Cyclone Rainfall in New England », Hydrometeorological Prediction Center (consulté le )
  13. (en) National Climatic Data Center, « Flash Flood Event Report for New York », NOAA, (consulté le )
  14. (en) Journaliste, « Barkers at pleasure beach side shows », BBC News, 20 septembre 20 1999 (consulté le )
  15. (en) National Climatic Data Center, « Coastal Flooding/Erosion Event Report for New Jersey », NOAA, (consulté le )

Source

  • icône décorative Portail de la météorologie