scorpion d’eau
Français
Locution nominale
| Singulier | Pluriel |
|---|---|
| scorpion d’eau | scorpions d’eau |
| \skɔʁ.pjɔ̃ d‿o\ | |

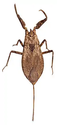
Une Nèpe ou scorpion d’eau.
scorpion d’eau \skɔʁ.pjɔ̃ d‿o\ masculin
- (Zoologie) Surnom vernaculaire de la nèpe.
D’allure peu engageante, la nèpe ou scorpion d’eau est un prédateur vorace qui s’attaque aux différentes larves et animaux aquatiques de petite taille qui cherchent à se développer dans votre bassin de jardin : larves d’insectes aquatiques ou non, alevins, têtards, vers, ... !
— (La nèpe ou le scorpion d’eau. sur www.auxbulles.com)
Traductions
Voir aussi
- scorpion d’eau sur l’encyclopédie Wikipédia

Cet article est issu de Wiktionary. Le texte est sous licence Creative Commons – Attribution – Partage à l’identique. Des conditions supplémentaires peuvent s’appliquer aux fichiers multimédias.