Bénigne Basset
Bénigne Basset Des Lauriers est un notaire et arpenteur français, probablement né à Paris en 1628[1] ou, selon d'autres sources, vers 1639 et décédé le à Montréal[2].

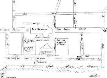
Plan de Ville-Marie de 1672.
Biographie
Arrivé en Nouvelle-France en 1657 avec les Sulpiciens, Bénigne Basset devint leur commis au bailliage, puis leur notaire seigneurial et greffier au tribunal. De 1663 à 1666, il fut aussi notaire royal. On lui doit 2 525 actes notariés, tous très bien conservés. Il semble cependant avoir été critiqué pour sa négligence.
Basset agit aussi comme arpenteur et, à ce titre, il traça le plan des premières rues de Montréal, sous les ordres de François Dollier de Casson, supérieur des Sulpiciens, en 1672.
Références
- Les archives paroissiales de Saint-Germain-l'Auxerrois, à Paris, indiquent: «Du 13 novembre 1628, fut baptisé Bénigne, fils de honorable Jehan Basset, maître joueur de luth, et de Catherine Coudreau. Le parrain : Maître Bénigne Le Roy, conseiller du Roi en la cour de Parlement de Bretagne ; la marraine : damoiselle Anne de La Martillière, fille de Mr de La Martillière, avocat au parlement de Paris.» («La pratique du luth en Nouvelle-France»)
- Article sur Bénigne Basset dans le Dictionnaire biographique du Canada
Liens externes
- Portail du Québec
- Portail de la Nouvelle-France
- Portail de Montréal
Cet article est issu de Wikipedia. Le texte est sous licence Creative Commons – Attribution – Partage à l’identique. Des conditions supplémentaires peuvent s’appliquer aux fichiers multimédias.