Silvanidae
Les Silvanidae sont une famille d'insectes coléoptères incluse dans la super-famille des Cucujoidea[1],[2]. Cette famille est composée de 58 genres et d'environ 500 espèces[3].
Caractéristiques
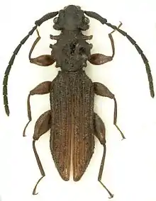
Les Silvanidae sont généralement petits (1,2 à 15 mm), de couleur brunâtre, aplatis, pubescents et densément ponctués. Leur formule tarsale est 5-5-5. Leurs antennes peuvent être courtes et en forme de massues ou très allongées. Ils ont généralement des rainures ou des sillons sur la tête ou le pronotum. De nombreux genres ont les bords latéraux du pronotum dentés à faiblement dentés.
La famille est divisée de façon inégale en deux sous-familles : les Brontinae et les Silvaninae. Les Brontinae, divisés en deux tribus (Brontini et Telephanini) de dix genres chacune, sont de plus grande taille, ont de longues antennes dont le scape est allongé, des articulations lâches et des mycangia mandibulaires. Les genitalia des mâles sont invaginés[4]. La sous-famille des Silvaninae, qui n'est pas divisée en tribus, se compose de 48 genres. Ils sont pour la plupart plus petits et se caractérisent par une cavité procoxale fermée et des mycangia mandibulaires généralement absents. Les genitalia des mâles ne sont pas invaginés.
Les espèces de la tribu des Telephanini ont les tarsomères lobés, contrairement à celles de la tribu des Brontini.
Les genres les plus importants en termes de nombre d'espèces sont Telephanus (109 espèces), Psammoecus (81 espèces) et Cryptamorpha (27 espèces) (tous des Brontinae de la tribu des Telephanini), ainsi que le genre Airaphilus (35 espèces).
Écologie et comportement
Tous les Silvanidae semblent être mycophages.[réf. nécessaire]
Deux espèces du genre Coccidotrophus et une du genre Eunausibius se nourrissent de miellat produit par une cochenille (Hemiptera : Pseudococcidae)[5],[6].
Habitat et répartition
La famille est représentée sur tous les continents sauf l'Antarctique, et est la plus diversifiée, tant en nombre de genres qu'en nombre d'espèces, sous les tropiques de l'Ancien Monde.
Les Silvaninae se trouvent sous l'écorce des arbres ainsi que dans la litière ou dans le sol. Deux genres, Nepharis et Nepharinus, sont inquilins de fourmis en Australie, et deux espèces du genre Coccidotrophus et une du genre Eunausibius se trouvent dans les pétioles de plantes myrmécophiles (Tachigali spp.) dans les régions tropicales d'Amérique[5],[6].
Les espèces de la tribu des Brontini se trouvent principalement sous l'écorce de bois mort, bien que les espèces des genres Brontoliota et Protodendrophagus se trouvent respectivement à la surface du bois mort au sol des forêts humides et sous les pierres dans les zones alpines de Nouvelle-Zélande.
Les espèces de la tribu des Telephanini se trouvent généralement sur des feuilles flétries et pendantes, en particulier des plantes de la famille des Musaceae ou des Heliconiaceae.
Classification
Les deux tribus incluses dans la sous-famille des Brontinae ont été revues au niveau du genre au milieu des années 2000[7],[8].
Il y a eu un certain nombre de grandes études taxonomiques sur les Silvanidae au cours des dernières décennies, comme Halstead (1973)[9], Sen Gupta et Pal (1996)[10], Pal (1981, 1985)[11],[12],[13], et Karner (1995, 2012)[14],[15].

Les études sur les relations phylogénétiques au sein de la famille et entre les Silvanidae et les autres Cucujoidea sont encore préliminaires[Quand ?]. Une analyse phylogénétique des Cucujoidea "primitifs" à l'aide des caractères morphologiques des larves et des adultes a permis de découvrir une relation étroite entre les Silvanidae et les Cucujidae[16]. Une autre étude phylogénétique moléculaire a visé principalement à clarifier le statut des Cucujoidea plus "évolués" en incluant néanmoins des taxons représentatifs plus primitifs. Elle a permis de montrer une relation étroite entre les Passandridae et les Silvanidae, et une relation plus éloignée avec les Cucujidae[17].

Les Silvanidae et l'Homme

Des espèces de dix genres ont été largement déplacées par le commerce et se trouvent maintenant partout dans le monde, ou presque (par exemple, Ahasverus (genre)Ahasverus, Oryzaephilus, Silvanus, Cryptamorpha, Monanus.)[18]. Le genre ayant l'impact économique le plus important est Oryzaephilus, avec deux espèces ravageuses de produits stockés (O. surinamensis (L.), le cucujide dentelé des grains, et O. mercator (Fauvel)), et plusieurs autres espèces, qui sont également des ravageurs mais moins importants[19]. D'autres exemples de pestes sont Ahasverus advena (Waltl), Cathartus quadricollis (Guerin-Meneville), et Nausibius clavicornis (Kugelann).
Notes et références
- (en) Cet article est partiellement ou en totalité issu de l’article de Wikipédia en anglais intitulé « Silvanidae » (voir la liste des auteurs).
- (en) Ross H. Arnett, Michael C. Thomas, Paul E. Skelley et J. Howard Frank, American beetles. Vol. 2, Polyphaga : Scarabaeoidea through Curculionoidea, CRC Press, , 861 p. (ISBN 1-4200-4123-1 et 9781420041231, OCLC 71676039, lire en ligne), « Family 80. Silvanidae Kirby 1837 », p. 322-326
- (en) A. Minelli, « Coleoptera, Beetles. Volume 2 Morphology and Systematics (Elateroidea, Bostrichiformia, Cucujiformia partim) », Journal of Zoological Systematics and Evolutionary Research, vol. 49, no 1, , p. 86–86 (ISSN 0947-5745, DOI 10.1111/j.1439-0469.2010.00584.x, lire en ligne, consulté le )
- (en) Joel Hallan, « Silvanidae Species List » [archive], sur Joel Hallan’s Biology Catalog, Texas A&M University (consulté le )
- (en) Vasily V. Grebennikov et Richard A. B. Leschen, « External exoskeletal cavities in Coleoptera and their possible mycangial functions », Entomological Science, vol. 13, no 1, , p. 81–98 (ISSN 1343-8786 et 1479-8298, DOI 10.1111/j.1479-8298.2009.00351.x, lire en ligne, consulté le )
- (en) A. G. Böving, « The larvae and pupae of the social beetles Coccidotrophus socialis (Schwarz and Barber) and Eunausibius wheeleri (Schwarz and Barber) with remarks on the taxonomy of the family Cucujidae. », Zoologica, vol. 3, no 7, , p. 197-213
- (en) H. S. Barber, « I. A New Bolivian Silvanid Beetle From the Myrmecodomatia of Cordia », Psyche: A Journal of Entomology, vol. 35, no 3, , p. 167–168 (ISSN 0033-2615 et 1687-7438, DOI 10.1155/1928/27420, lire en ligne, consulté le )
- (en) M. C. Thomas, « The Brontini of the world: A generic review of the tribe (Coleoptera: Silvanidae: Brontinae) », Insecta Mundi, vol. 17, nos 1-2, , p. 1-31 (ISSN 1942-1354, lire en ligne)
- (en) M. C. Thomas et E. H. Nearns, « A new genus of telephanine Silvanidae (Coleoptera: Cucujoidea), with a diagnosis of the tribe and key to genera », Insecta Mundi, vol. 48, , p. 1-14 (ISSN 1942-1354, lire en ligne)
- (en) David Gordon Howarth Halstead, A revision of the genus Silvanus Latreille (s.l.) (Coleoptera : Silvanidae), British Museum (Natural History), (lire en ligne), p. 39-112
- (en) T. Sengupta et Tapan Kumar Pal, « Fauna of India and the adjacent countries, Calvicornia [sic!]: Coleoptera Family Silvanidae », Zoological Survey of India, Calcutta,
- (en) Tapan Kumar Pal, « Onmonanussharp (Coleoptera : Silvanidae) from India », Oriental Insects, vol. 15, no 3, , p. 241–255 (ISSN 0030-5316 et 2157-8745, DOI 10.1080/00305316.1981.10434393, lire en ligne, consulté le )
- (en) Tapan Kumar Pal, « A new genus and a species of Psammoecinae (Coleoptera : Silvanidae) from South India », Oriental Insects, vol. 15, no 3, , p. 257–261 (ISSN 0030-5316 et 2157-8745, DOI 10.1080/00305316.1981.10434394, lire en ligne, consulté le )
- (en) Tapan Kumar Pal, « A revision of Indian Psammoecus Latreille (Coleoptera, Silvanidae) », Records of the Zoological Survey of India, Miscellaneous Publication, Occasional Paper, vol. 71, , p. 1-54
- (en) Michael Karner, « A new genus and two new species of Telephanini, with a redescription of Psammaechidius spinicollis Fairmaire and notes on the genus Psammoecus Latreille (Coleoptera, Silvanidae, Uleiotinae, Telephanini) », Coleoptera, vol. 8, , p. 3-17
- (en) Michael Karner, « A revision of African Psammoecus (Coleoptera, Silvanidae) and descriptions of two new species from the collection of the Musée royal de l’Afrique centrale », European Journal of Taxonomy, vol. 0, no 17, (ISSN 2118-9773, DOI 10.5852/ejt.2012.17, lire en ligne, consulté le )
- (en) R. a. B. Leschen, J. F. Lawrence et S. A. Ślipiński, « Classification of basal Cucujoidea (Coleoptera : Polyphaga): cladistic analysis, keys and review of new families », Invertebrate Systematics, vol. 19, no 1, , p. 17–73 (ISSN 1447-2600, DOI 10.1071/IS04007, lire en ligne, consulté le )
- James A. Robertson, Michael F. Whiting et Joseph V. McHugh, « Searching for natural lineages within the Cerylonid Series (Coleoptera: Cucujoidea) », Molecular Phylogenetics and Evolution, vol. 46, no 1, , p. 193–205 (ISSN 1055-7903, DOI 10.1016/j.ympev.2007.09.017, lire en ligne, consulté le )
- D.G.H. Halstead, « Keys for the identification of beetles associated with stored products—II. Laemophloeidae, Passandridae and Silvanidae », Journal of Stored Products Research, vol. 29, no 2, , p. 99–197 (ISSN 0022-474X, DOI 10.1016/0022-474x(93)90030-8, lire en ligne, consulté le )
- (en) D. G. H. Halstead, « A revision of the genus Oryzaephilus Ganglbauer, including descriptions of related genera (Coleoptera: Silvanidae) », Zoological Journal of the Linnean Society, vol. 69, no 4, , p. 271–374 (ISSN 0024-4082, DOI 10.1111/j.1096-3642.1980.tb01126.x, lire en ligne, consulté le )
Liens externes
- (en) Référence BioLib : Silvanidae Kirby, 1837 (consulté le )
- (en) Référence Catalogue of Life : Silvanidae (consulté le )
- (fr + en) Référence ITIS : Silvanidae Kirby, 1837 (consulté le )
- (en) Référence NCBI : Silvanidae (taxons inclus) (consulté le )
- (en) Référence Tree of Life Web Project : Silvanidae (consulté le )
- (en) Référence Paleobiology Database : Silvanidae Kirby 1837 (consulté le )
- (en) Référence WoRMS : Silvanidae Kirby, 1837 (+ liste genres + liste espèces) (consulté le )
- Portail de l’entomologie