Ouragan Ida
|
Ouragan Ida
| ||||||||
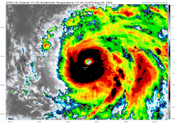
Ida à son intensité maximale, juste avant de toucher la côte de Louisiane. | ||||||||
| Apparition | ||||||||
|---|---|---|---|---|---|---|---|---|
| Dissipation | ||||||||
| (Tempête post/extra-tropicale à partir du ) | ||||||||
| Catégorie maximale | Ouragan catégorie 4 | |||||||
| Pression minimale | 929 hPa | |||||||
| Vent maximal (soutenu sur 1 min) |
240 km/h | |||||||
| Dommages confirmés | au moins 65,25 milliards $[1] | |||||||
| Morts confirmés | >97 | |||||||
| Blessés confirmés | N/D | |||||||
| Zones touchées | Cuba, Louisiane et Sud-est des États-Unis, Nord-est des États-Unis, Provinces de l'Atlantique, Est du Québec | |||||||
Trajectoire d’Ida.
| ||||||||
| Saison cyclonique 2021 dans l'océan Atlantique nord | ||||||||
L’ouragan Ida est la neuvième tempête tropicale nommée, le quatrième ouragan et le deuxième ouragan majeur et le premier à atteindre la catégorie 4 de la saison cyclonique 2021 dans l'océan Atlantique nord. L'arrivée d’Ida s'est produit lors du 16e anniversaire de la frappe de Katrina presque au même endroit. La pression centrale d’Ida était de 929 hPa, soit la seconde plus basse à avoir frappé en Louisiane après celle de Katrina à 920 hPa[2].
Le cyclone tropical s'est formé à partir d'une onde tropicale notée le National Hurricane Center (NHC) le pénétrant dans la mer des Caraïbes au nord de la côte du Venezuela. Le système a développé une zone orageuse après avoir longé la côte un certain temps puis a tourné vers le nord-nord-ouest et est devenu la tempête tropicale Ida le . Le lendemain, elle s'est renforcée un ouragan de catégorie 1 près de l'île de la Jeunesse (Cuba) pour ensuite frapper la province de Pinar del Río.
Traversant sans encombre cette région, Ida s'est retrouvé sur les eaux très chaudes du golfe du Mexique avec peu de cisaillement des vents en altitude pour inhiber son développement. À partir de la mi-journée du 28, l'ouragan a subi une intensification explosive, passant de la catégorie 2 à la catégorie 4 en 18 heures tout en se dirigeant vers le delta du Mississippi. Cet ouragan puissant, avec des vents soutenus de 240 km/h, a touché la côte à 16 h 55 UTC le 29 près Port Fourchon (Louisiane).
L'ouragan a d'abord lentement faibli en entrant en Louisiane mais la friction et la perte d'énergie en s'éloignant des côtes l'ont ramené à une tempête tropicale tôt le puis dépression tropicale à 21 h UTC sur l'État du Mississippi. En mi-journée du , le système est devenu extratropical en passant sur la Virginie-Occidentale. Par la suite la dépression frontale a traversé le Nord-Est des États-Unis et les provinces de l'Atlantique canadiennes
Ida a causé d'importants dommages aux infrastructures dans toute la Louisiane et le Mississippi ainsi que des inondations extrêmement importantes dans les zones côtières. Les digues de la Nouvelle-Orléans ont cependant survécu contrairement à ce qui s'était passé en 2005 avec Katrina. Tout au long de son trajet à travers les États-Unis, il a causé des inondations, des tornades et fait de nombreuses pertes de vie (54 directes, 7 indirectes au ). Les villes du Nord-Est comme Philadelphie et New York ont été particulièrement touchées. Il est estimé que la tempête a causé au moins 65,25 milliards $US (2021) en dommages, dont 18 de pertes assurées en Louisiane, faisant d’Ida le sixième cyclone tropical le plus coûteux[1],[3]. Dans l'ensemble, il y a eu au moins 77 décès dans huit États américains liés à Ida dont au moins 51 décès dans le nord-est des États-Unis[4],[5],[6].
Le , le Comité des ouragans de l’Organisation météorologique mondiale (OMM) a supprimé Ida des listes futures de noms utilisés pour les cyclones tropicaux de l’Atlantique Nord en raison du très lourd bilan humain et matériel associé à cet ouragan de catégorie 4. Imani le remplacera pour la saison 2027[7].
Évolution météorologique
Le NHC suivait une onde tropicale depuis quelques jours le long de la côte du Venezuela quand le , à 15 h UTC, il émit son premier bulletin pour la dépression tropicale Neuf. En effet, l'onde avait enfin développé une zone de basse pression et une circulation cyclonique au centre-ouest de la mer des Caraïbes[8]. Un peu plus de six heures plus tard, le rapport provenant d'un avion de reconnaissance a permis d'établir que la dépression s'était intensifiée en tempête tropicale. Le système fut donc baptisé Ida alors qu'il était à 205 km au sud-est de Grand Cayman[9]. Des alertes cycloniques furent émises pour les îles Caïmans, Cuba et la côte de la Louisiane, les deux derniers pour des conditions d'ouragan.
À 17 h 10 UTC le 27, un avion de reconnaissance permit d'établir qu’Ida avait atteint le statut d'ouragan de catégorie un, à 50 km à l'est-sud-est de l'Île de la Jeunesse (Cuba)[10]. À 23 h 25 UTC, le NHC a annoncé que l'ouragan avait touché la côte de la province de Pinar del Río, à 30 km à l'est de La Coloma, Cuba[11]. Il a ensuite traversé rapidement les terres pour rejoindre le golfe du Mexique un peu plus de 3 heures plus tard sans être affecté par son transit et dans des conditions très favorables à son intensification[12]. À ce moment, le NHC prévoyait un développement en ouragan majeur qui se dirigeait directement vers la côte de la Louisiane, menaçant la Nouvelle-Orléans[13]. Le président Joe Biden a approuvé l’état d’urgence pour l'État ce qui permettait de déployer l'aide fédérale pour la préparation au cyclone pour les zones étant déjà sous un ordre d’évacuation volontaire et/ou obligatoire[14].
À 15 h UTC le 28, Ida a atteint la catégorie 2 de l'échelle de Saffir-Simpson à 470 km au sud-sud-est du delta du Mississippi et en rapide intensification grâce aux eaux très chaudes du golfe du Mexique et au faible cisaillement des vents en altitude[15]. Près de 300 plateformes pétrolières dans la trajectoire d’Ida, la moitié du nombre avec personnel du golfe du Mexique, ont été évacuées selon le U. S. Bureau of Safety and Environmental Enforcement. Plus de 80 % de la production de pétrole et de gaz de la région a ainsi été interrompue[16].


À 6 h UTC le 29, Le NHC a annoncé qu’Ida était devenu un ouragan majeur de catégorie 3 à 170 km des côtes de la Louisiane et à 8 h UTC, il passait à la catégorie 4[17]. À 12 h UTC, l'ouragan n'était plus qu'à 80 km des côtes et ses vents soutenus avaient atteint 240 km/h[18]. Une heure plus tard, une station à Southwest Pass, à l'extrémité sud-ouest du delta du Mississippi, commença à signaler un vent soutenu de 169 km/h avec rafales à 194 km/h[19]. Le centre d’Ida a touché la côte près de Port Fourchon à 16 h 55 UTC, ses vents soutenus toujours à 240 km/h et la pression centrale à 930 hPa (cependant sa pression minimale fut de 929 hPa)[20],[21]. L'ouragan déversait des trombes d'eau et produisait une onde de tempête extrême le jour même de l'anniversaire de l'arrivée désastreuse de Katrina 16 ans plus tôt.
En entrant dans les terres, l'ouragan a graduellement perdu de son intensité par friction et est retombé à tempête tropicale 9 h UTC le 30 alors qu'il était à 75 km au nord-nord-est de Baton Rouge, la capitale de la Louisiane[22]. À 21 h UTC, le système est retombé au niveau de dépression tropicale dans le centre-ouest de l'État du Mississippi et le NHC a passé la main au Weather Prediction Center (WPC) pour les avis suivants[23].
Tôt le matin du , Ida était seulement rendu dans le nord du Mississippi, continuant de déverser de fortes pluies jusqu'en Virginie-Occidentale et produisant des lignes orageuses jusqu'en Géorgie, tout en se dirigeant vers le nord-est à 20 km/h. En soirée (local), la dépression tropicale était rendue dans le nord-est du Tennessee avec la pluie se dirigeant vers les États du Mid-Atlantic[24]. En mi-journée du , le système est devenu extratropical en passant sur la Virginie-Occidentale en direction du golfe du Maine à 40 km/h[25]. Ses pluies s'étendaient alors de la Pennsylvanie jusqu'au sud de la Nouvelle-Angleterre en passant par New York.
À 3 h UTC le 2, la dépression frontale atteignait l'arrondissement Staten Island de New York et commençait à s'intensifier. À 12 h UTC, elle passait à l'est du Cap Cod, Massachusetts en direction de la Nouvelle-Écosse[26]. En mi-journée du , la tempête était rendue sur le centre du golfe du Saint-Laurent à 993 hPa où elle fut capturée par une dépression coupée en altitude[27]. Par la suite, elle a effectué une rotation anti-horaire sur l'ouest du golfe avant de se dissiper la nuit du 4 au 5 au sud de Terre-Neuve au profit d'une autre dépression dans la mer du Labrador[28].
Préparatifs
Antilles
Dans la province de Pinar del Rio (Cuba), l’épicentre de la pandémie de Covid-19 sur l’île, plus de 10 000 personnes ont été évacuées et l’électricité a été coupée de manière préventive le . À La Havane assez proche, le transport public avait été suspendu par précaution dès la mi-journée et des milliers de personnes évacuées[29]. Le , 800 personnes, dont des enseignants et des étudiants surveillant les tortues sur la péninsule de Guanahacabibes, ont été évacués à cause d’Ida, selon le chef de la défense civile de la région[30]. 6 281 personnes ont dû chercher refuge à La Palma[31].
États-Unis

Des alertes d'ouragans ont été émises dès le , pour la côte louisianaise jusqu'au panhandle de Floride. Cela incluait un avertissement d'onde de tempête de plus de 4,9 m pour la Louisiane, de 2 à 3 m la côte du Mississippi, de 1 à 1,5 m pour celle de l'Alabama et de 0,3 à 0,9 m pour le panhandle de Floride[32]. À l'approche d’Ida, des veilles et des avertissements de tornade ont été émis pour certaines parties de la Louisiane, de l'Alabama et du Mississippi le . Un risque élevé de crues soudaines a été publié le même jour, englobant une grande partie de la Nouvelle-Orléans et des régions avoisinantes avec une zone étendue d'accumulation de 250 à 600 mm de pluie[18].
Le , le gouverneur John Bel Edwards a déclaré l'état d'urgence en prévision de la tempête[33]. Il a mentionné qui le système de digue à la Nouvelle-Orléans, qui a été renforcé depuis l'ouragan Katrina, serait mis à rude épreuve. Le , la mairesse de la Nouvelle-Orléans LaToya Cantrell a émis un ordre d'évacuation obligatoire pour toutes les parties de la ville qui se trouvent en dehors de sa zone de protection contre les inondations[34]. Le même jour, le président Joe Biden a signé une déclaration d'urgence pour la Louisiane[14].
Les activités et événements furent annulés dans les zones menacées. Par exemple, le , le match de football américain préparatoire de la NFL entre les Cardinals de l'Arizona et les Saints de La Nouvelle-Orléans prévu pour le lendemain a été annulé[35]. Dans le Mississippi, au moins 15 districts scolaires et universités ont reçu l'ordre de fermer le lundi , ainsi qu'une douzaine de casinos. Entergy Mississippi s'attendait à des dommages importants au système dans la région métropolitaine de Jackson[36]. Le , les avertissements de forte pluie ont été étendus aux vallées du Tennessee et de l'Ohio ainsi que pour la région médio-atlantique des États-Unis le long du trajet prévu de la tempête[37].
Canada
Le Service météorologique du Canada a émis des bulletins météorologiques spéciaux et des avertissements pour l'Est du Québec, la Nouvelle-Écosse, l'Île-du-Prince-Édouard, le sud-est du Nouveau-Brunswick et Terre-Neuve pour des pluies abondantes le pour les jours suivants avec les restes d’Ida. Les prévisions étaient pour une vaste zone de 30 à 60 millimètres avec des régions pouvant recevoir jusqu'à 100 millimètres. De plus, les vents devaient souffler en rafales jusqu'à 70 ou 80 km/h[38],[39].
Impacts
| Pays | Décès | Dommages (milliards $US) |
Réf. |
|---|---|---|---|
| Cuba | 0 | 0,250 | [1] |
| États-Unis | 77 | 65 | [1],[6] |
| Venezuela | 20 | N/D | [40] |
| Total | 97 | 65,25 |
Venezuela
En tant qu'onde tropicale, Ida a déclenché des inondations dans l'ouest du Venezuela le , tuant 20 personnes[41],[40].
Cuba
Sur l’île de la Jeunesse à Cuba, les vents et les pluies n’ont entraîné que des dégâts mineurs pour l’agriculture et arraché des toits. La télévision a montré des dizaines d’arbres renversés dans la province[29]. De nombreuses maisons ont également été détruites par des vents forts et des branches d'arbres ont été cassées à La Coloma, Pinar del Río[42]. Los Palacios et Consolación del Sur ont également perdu de l'électricité, selon un journal local de la province. Dans premier estimé, Ida a coûté 40 millions de dollars en pertes d'assurance et 100 millions de dollars en dommages à Cuba[43]. La firme AON a estimé les pertes totales à 250 millions $US ou plus en octobre[1].
États-Unis
| État | Pluie max (mm) |
Rafale max (km/h) |
|---|---|---|
| Alabama | 285 | 87 |
| Connecticut | 230 | |
| Floride | 208 | 87 |
| Louisiane | 400 | 277 |
| Kentucky | 119 | |
| Maine | 108 | |
| Massachusetts | 241 | |
| New Jersey | 252 | |
| New York | 227 | |
| Ohio | 131 | |
| Pennsylvanie | 240 | |
| Mississippi | 335 | 110 |
| Rhode Island | 250 | |
| Tennessee | 172 | |

Plus d’un million de foyers ont été privés d'électricité selon le site spécialisé PowerOutage.US[45]. La garde nationale et plus de 5 200 personnes de l’agence américaine de gestion d’urgence (FEMA) ont été déployés pour venir en aide aux sinistrés[45]. En plus de la pluie et des vents, le National Weather Service a rapporté au moins 19 tornades allant de EF-0 à EF-3[46],[47],[48]. Une nappe de pétrole est observée en mer dans le golfe du Mexique au large de Port Fourchon, en Louisiane[49]. Au moins 77 personnes sont mortes dans le pays[6].
Alabama
Sept tornades de faible intensité ont touché tout l'Alabama. Deux électriciens sont morts à Adger alors qu'ils réparaient les dommages du réseau électrique causés par la tempête[50].
Louisiane
De graves dommages ont été rapportés dans les zones côtières de la Louisiane, notamment à la Nouvelle-Orléans, Golden Meadow, Houma, Galliano, LaPlace et Grand Isle[51]. Il est tombé en général de 200 à 300 mm sur l'État avec un maximum de 400 mm à la station de Rigolets-Slidell, alors que les rafales ont atteint jusqu'à 277 km/h selon National Weather Service[44]. Un anémomètre à Grand Isle a cependant enregistré une rafale de 238 km/h avant d'être détruit par le vent[52]. Des photos aériennes ont été publiées montrant une destruction à grande échelle, des débris et des inondations dans les zones touchées[53],[54].
.jpg)
À Houma, des conditions de blanc dehors ont été enregistrées, avec des débris volants et de nombreuses maisons endommagées ou détruites[55],[56]. Un avertissement d'inondation urgent a été émis pour Braithwaite lorsqu'une des digues a été dépassée[57],[58]. À Galliano, de nombreuses maisons ont été détruites, des arbres ont été déracinés, des voitures renversées et des lignes électriques abattues[59]. L'hôpital général Lady of the Sea a été endommagé, perdant une grande partie de son toit[51],[60]. Grand Isle a été rendu inhabitable alors que 10 à 12 ruptures dans une digue ont entraîné des dommages à 100 % des structures, dont 40 % ont été complètement détruites ou ont été transformées en un simple amoncellement de débris, incluant le commissariat. L'électricité coupée, l'île était également couverte d'environ 91 cm de sable[61].
Des dégâts importants ont été enregistrés dans le Vieux carré français de la Nouvelle-Orléans, notamment des toits détruits et des effondrements de bâtiments[51]. Presque toute la ville a perdu l'électricité en raison de dommages importants aux lignes de transmission, tandis qu'environ 1 million de personnes dans tout l'État ont été privées d'électricité[62].L'un des traversiers utilisés à travers le fleuve Mississippi s'est libéré de son amarrage pendant l'ouragan, a dérivé sur le fleuve, puis s'est échoué[63]. L'une des sections du barrage de Gulf Outlet a été dépassée par l'onde de tempête et l'USGS a enregistré que le fleuve Mississippi près de Belle Chasse remontait son cours en raison du volume d'eau[64],[65],[66].
Des dommages sévères ont été signalés dans la paroisse de Jefferson où le toit de presque toutes les maisons ont été soufflés. Une importante tour de transmission d'électricité a été tordue et détruite, ce qui a entraîné des pannes de courant généralisées[67]. Quatre hôpitaux de l'État ont été endommagés, selon l'Agence fédérale de gestion des urgences (FEMA)[68].
Huit pieds d'eau débordaient les digues paroissiales[69]. Le producteur d'électricité Entergy a fermé la centrale nucléaire de Waterford en raison de la perte d'alimentation électrique du réseau. Le refroidissement a été maintenu grâce aux générateurs diesel de secours. Le niveau d'alerte le plus bas, « événement inhabituel », a alors été émis, sans dommage matériel important signalé[70],[71].
Le , les dommages assurés étaient estimés à au moins 15 milliards $US de dollars selon Bloomberg en Louisiane[72].
Le , un homme de 71 ans est mort après avoir été mutilé par un alligator alors qu'il marchait dans les eaux de crue à Slidell[73],[74]. Un homme s'est noyé à la Nouvelle-Orléans après avoir tenté de conduire son véhicule dans les eaux de crue[75]. À Prairieville, un homme a été tué lorsqu'un arbre est tombé sur sa maison pendant l'ouragan[75],[76]. Un homme de 24 ans a été retrouvé mort à La Nouvelle Orléans, la cause du décès semblait être par une intoxication au monoxyde de carbone (CO). Dans la même ville, 12 personnes, dont 7 enfants, ont été hospitalisées pour intoxication au CO. Dans la paroisse voisine de Saint-Tammany, neuf personnes ont été hospitalisées pour la même cause[77]. Un homme de la paroisse de Saint-Jacques a été tué lorsque son abri de jardin lui est tombé dessus pendant le passage de l'ouragan[78]. Au , le nombre de morts s'élevait à 13 dans l'État[79].
Mississippi
Il est tombé de 200 à 300 mm sur l'État avec un maximum de 335 mm à la station de Baie Saint-Louis, alors que les rafales ont atteint jusqu'à 110 km/h à l'aéroport international de Gulfport-Biloxi[44]. Plus de 113 000 personnes étaient sans électricité le 30 août[62]. Cependant, Biloxi a été très peu endommagé, probablement parce que de nombreux arbres faibles et morts et des structures de qualité inférieure avaient déjà été soufflés par l'ouragan Zeta l'année précédente[80].
Deux personnes ont été tuées à l’ouest de Lucedale, et au moins 10 autres ont été blessées quand un trou dans l'autoroute d'État 26, causé par les pluies, a englouti leurs véhicules. Le trou s'étendait sur environ 15 à 18 m et avait de 6 à 9 m de profondeur. Selon le National Weather Service, il est tombé plus de 200 millimètres de pluie sur la région[81].
Nord-est des États-Unis
Tornades

Une série de tornades a ravagé la région métropolitaine de Philadelphie le , piégeant des personnes dans leurs maisons, endommageant des bâtiments, renversant des arbres et des lignes électriques et laissant des dizaines de milliers de maisons et d'entreprises sans électricité[82]. Une d'elles d'intensité EF-1 est passé le long d'un corridor entre Edgewater Park (New Jersey) et Bristol (Pennsylvanie) et a provoqué une rare alerte extrême pour la région[83],[84].
Au New Jersey, une tornade d'intensité EF-3 a détruit plusieurs maisons à Mullica Hill, Comté de Gloucester[85]. Une tornade EF2 a causé des dommages à Fort Washington et dans le canton de Horsham dans le comté de Montgomery, en Pennsylvanie, faisant tomber des arbres et des lignes électriques, ainsi qu'arrachant le toit du département de police d'Upper Dublin[86]. Également en Pennsylvanie, une tornade EF-1 a frappé le canton de Buckingham dans le comté de Bucks et une tornade a touché le sol à Oxford dans le comté de Chester[83]. Une tornade a causé des dommages considérables à Annapolis (Maryland)[87].
Dans le Massachusetts, une tornade EF-0 a touché Dennis dans la région du Cap Cod[88]. Plus de 81 740 pannes de courant ont été signalées dans la nuit du dans le New Jersey.
Des avertissements de tornade ont également été émis pour certaines parties de la région métropolitaine de New York, y compris le comté de Westchester (New York), et certaines parties du comté de Fairfield et de la ville de Ridgefield dans le Connecticut[89].
Pluie et inondations
.jpg)
Ida était le troisième système tropical en autant de semaines à passer le Nord-Est des États-Unis, après Fred et Henri, ces derniers laissant le sol saturé et plus sujet aux inondations[90],[91]. La tempête a produit également de multiples tornades destructrices alors qu'elle se déplaçait dans la région. Dans le comté de Frederick (Maryland), dix élèves et le chauffeur d'autobus ont dû être secourus lorsque leur autobus scolaire a été pris dans une inondation[92].
De fortes pluies et d'importantes inondations se sont produites dans l'est de la Pennsylvanie[93]. La rivière Schuylkill a inondé des portions de Philadelphie, dont une partie de l'Interstate 676 (Vine Street Expressway)[83],[94]. Des portions de Trenton (New Jersey) ont été évacuées en raison des inondations causées par la tempête[95].
Jusqu'à 230 mm de pluie sont tombés sur certaines parties du Connecticut, entraînant des inondations généralisées[96]. Un policier d'État du Connecticut est mort que sa voiture ait été emporté par les eaux de crue de la rivière Pomperaug dans le comté de Litchfield[97]. Des précipitations totales similaires ont été enregistrées dans le Rhode Island voisin, et les rivières de l'État ont atteint un stade d'inondation modéré[98].
Dans le sud-est du Massachusetts, New Bedford a reçu 240 mm de pluie[88]. Plus de 81 740 pannes de courant ont été signalées dans la nuit du dans le New Jersey. Près de Philadelphie, quatre personnes sont décédées selon les autorités locales[99].
Région de New York

Le bureau de la ville de New York du National Weather Service a émis sa première alerte de crue soudaine en réponse à de graves inondations dans le Nord-Est du New Jersey, suivie une heure plus tard par la première alerte pour la ville de New York elle-même. Des inondations généralisées ont fermé une grande partie du système de métro de la ville de New York ainsi qu'une grande partie des systèmes de trains de banlieue du New Jersey Transit, du Long Island Railroad et du Metro-North Railroad.
Dans la ville de New York, il y a eu au moins 17 morts selon la police, dont plusieurs pris au piège et noyées dans leurs sous-sols dans des logements de fortunes au pied des immeubles de Manhattan, Queens ou Brooklyn[79],[99]. Parmi les décès, il y avait un garçon de 2 ans, sa mère de 48 ans et son père de 50 ans à Woodside, Queens[100]. Des centaines de résidents ont été secourus par les pompiers. Un policier au trafic routier est décédé au Connecticut. Au New Jersey, au moins 27 personnes ont perdu la vie selon le gouverneur Phil Murphy, la plupart prises au piège dans leur voiture[79],[99].
À Westchester, des dizaines de véhicules étaient encore immergés jusqu’au toit le et des sous-sols de la côte Est dévastés par les eaux montant parfois jusqu’à 60 cm[99], et ont rapportait 3 décès[79]. Le National Weather Service a enregistré un record absolu de 80 mm de pluie en une heure à Central Park à New York. De nombreuses stations du réseau de métro de New York ont été inondés, coupant le service[99]. La pluie torrentielle a aussi inondées rues, avenues, voies rapides qui se sont soudainement transformées en torrents[99]. Il est tombé dans le même temps 82 mm à Newark et 71 mm à Somerset non loin au New Jersey[101].
Canada
En 24 heures, il est tombé de 80 à 100 mm dans le sud du Nouveau-Brunswick, avec un maximum de 102,3 mm à Grand Manan et des rafales de plus de 70 km/h. Ailleurs dans la province, les accumulations ont oscillé entre 50 et 90 mm et les vents ont atteint 88 km/h sur l’île Miscou. En Nouvelle-Écosse, les quantités ont été similaires avec un pic de 125 mm à l'île Brier et des rafales allant jusqu'à 125 km/h au Cap-Breton. À l’Île-du-Prince-Édouard, les vents n’ont pas dépassé les 100 km/h mais il est tombé jusqu'à 142,5 mm de pluie à Stanhope et près de 130 mm à Charlottetown, alors que les records de pluie quotidienne ont été fracassés à Charlottetown et Summerside[101],[102].
Au Québec, la pluie diluvienne laissant 100 mm sur les îles de la Madeleine a éventré des bouts de routes, notamment près de L'Étang-du-Nord et dans le secteur du Havre-Aubert. Les écoles ont suspendu leurs cours du [103]. Il est aussi tombé en général entre 50 et 80 mm sur la Gaspésie, l'île d'Anticosti et la Basse-Côte-Nord selon le Service météorologique du Canada[104],[105]. Les pluies ont causé des inondations, forcé l'évacuation de plusieurs maisons et d'une résidence pour aînés, ainsi qu'occasionné des fermetures de routes, dans la région de Grande-Vallée à Rivière-au-Renard en Gaspésie où les cumuls ont dépassé 100 mm[106]. De plus, les vents ont atteint 80 à 110 km dans les mêmes régions causant une forte onde de tempête[105].
À Terre-Neuve, il est tombé de 30 à 60 mm sur le centre et l'ouest de l'île avec un maximum de 66,8 mm à la station de LaScie (près de Baie Verte). Les vents ont atteint 110 km/h à Wreckhouse ainsi que 88 km/h à Stephenville sur le sud-ouest[107].
Répercussions et aide
La tempête a interrompu la quasi-totalité de la production pétrolière de la côte du golfe du Mexique, représentant environ 15 % du total américain. Les raffineries de la Louisiane ont également été fermées, ce qui représente 12,5 % de la capacité du pays. Le Colonial Pipeline a été partiellement fermé à cause de l'ouragan. Cette combinaison de facteurs a fait grimper les prix des produits pétroliers et de l'essence aux États-Unis[108]. Le passage de l'ouragan a aussi causé un déversement de pétrole selon les garde-côtes américains alors qu'au moins un pipeline de 12 pouces (30,5 cm) de diamètre a été déplacé de son emplacement initial dans une tranchée près de Port Fourchon et semble ouvert[109].
En Louisiane
.jpg)
On estime qu'il faut environ quatre semaines pour se remettre de la panne d'électricité massive à la Nouvelle-Orléans[62]. Le Massachusetts a envoyé une équipe de 80 membres, composée de techniciens médicaux d'urgence, de médecins, de spécialistes en structure, communication et logistique, et de techniciens en salle d'urgence, à Baton Rouge dès le [110]. Des États comme le Texas et la Caroline du Sud, ainsi que des organisations nationales à but non lucratif, ont collecté des dons à distribuer aux victimes et à aider aux opérations de recherche et de sauvetage[111],[112].
Plus de 5 000 membres de la garde nationale ont été déployés et plus de 25 000 travailleurs dans tout le pays sont venus soutenir les efforts de rétablissement. Le président américain Joe Biden a déclaré une catastrophe majeure dans l'État, ce qui a permis un financement supplémentaire pour la récupération. Les conditions météorologiques étouffantes après le passage Ida ont aggravé la qualité de vie de nombreux survivants sans électricité ni nourriture alors qu'un avertissement de chaleur accablante touchait plus de 2 millions de personnes. Les gens ont fui sur leurs toits à l'extérieur de la Nouvelle-Orléans pour échapper aux eaux de crue[113]. Les autorités ont déclaré que le courant pourrait ne pas être rétabli avant un mois dans certaines zones, un délai qui pourrait mettre la vie en danger en raison de la chaleur intense[114].
La Garde nationale de Louisiane a envoyé environ 200 véhicules en haute mer, ainsi que plus de 70 bateaux de sauvetage et 30 hélicoptères. Dans l'après-midi du , 191 personnes et 27 animaux de compagnie ont été sauvés par des équipes ayant vérifié 400 maisons. Le gouverneur John Bel Edwards a déclaré que les dégâts étaient « catastrophiques » et que les responsables pensent que le nombre de morts « pourrait augmenter considérablement »[115]. L'Université Tulane a annoncé son intention d'évacuer son campus de tous les étudiants restants et de les emmener à Houston (Texas). De nombreuses personnes ont fui vers les magasins pour obtenir de la nourriture et de l'eau, et vers les stations-service pour obtenir du carburant[116].
Le , il a été annoncé que le match de football universitaire entre Tulane et Oklahoma prévu pour le était déplacé de la Nouvelle-Orléans à Norman (Oklahoma), bien que Tulane soit toujours considéré comme l'équipe à domicile[117]. Le , le deuxième match à domicile de Tulane contre l'université d'État Morgan, prévu pour le , a été déplacé au Legion Field à Birmingham (Alabama). Le tournoi de volleyball de Tulane prévu du 17 au a également été déplacé à Birmingham à l'intérieur du Bartow Arena. Tous les fans ont été autorisés à assister gratuitement aux deux événements[118].
Le , les Saints de la Nouvelle-Orléans ont annoncé qu'ils prévoyaient d'utiliser une installation provisoire dans la région de Dallas-Fort Worth pendant les quatre premières semaines de la saison 2021 de la NFL[119]. Le jour suivant, leur premier match régulier de saison contre les Packers de Green Bay prévue le a été déplacé au TIAA Bank Field à Jacksonville (Floride)[120].
Dans le Nord-Est des États-Unis
L'état d'urgence a été déclaré à New York et au New Jersey, y compris la ville de New York, par les gouverneurs Kathy Hochul et Phil Murphy ainsi que le maire Bill de Blasio[121]. Plusieurs districts scolaires publics du New Jersey ont retardé ou annulé les cours en raison d'inondations ou de dommages causés par les intempéries[122].
L'aéroport international Liberty de Newark a subi des inondations et tous les départs ont été annulés le jour du déluge. Les opérations ont repris le lendemain matin, avec des retards et des annulations[123]. Le , il a été annoncé qu'en raison des inondations majeures autour du stade SHI, Le match d'ouverture de football universitaire entre les universités Rutgers et Temple prévu ce jour-là serait reporté au [124]. Le gouverneur du Connecticut, Ned Lamont, a également déclaré l'état d'urgence pour l'ensemble de l'État à la suite d'inondations généralisées[96].
De nombreuses équipes de secours ont été envoyées dans des bateaux sur les rues inondées le lendemain de la tempête à Philadelphie, dans le nord du Delaware et dans certaines parties de l'État de New York. Des milliers de sauvetages ont eu lieu rien qu'en Pennsylvanie ce jour-là, et les premiers intervenants ont aidé à mettre à l'abri les passagers des rames de métro à l'arrêt la nuit des inondations à New York. Certains sont restés bloqués pendant toute la nuit[94].
Retrait
Le , le Comité des ouragans de l’Organisation météorologique mondiale (OMM) a supprimé Ida des listes futures de noms utilisés pour les cyclones tropicaux de l’Atlantique Nord. Avec plus de 65 milliards $US (de 2021) de dommages et près de 100 morts directs et indirects, cet ouragan de catégorie 4 a particulier touché les États-Unis. Ce sont les dégâts graves à catastrophiques dans le sud-est de la Louisiane avant de devenir une dépression extratropicale et donner de fortes pluies et des inondations meurtrières dans le nord-est du pays qui ont mené à la demande de retrait par les États-Unis[7].
Références
- 1 2 3 4 5 (en) Global Catastrophe Recap September 2021, AON, , 19 p. (lire en ligne [PDF]), p. 10-15.
- ↑ (en) Philip Klotzback (@philklotzbach), « #Ida has made landfall with a central pressure of 930 hPa. Only Hurricane Katrina in 2005 made landfall in Louisiana with a lower pressure (920 hPa). », sur Twitter, (consulté le ).
- ↑ (en) Rebecca Santana, Melinda Deslatte et Janet McCounaughey, « After Ida, small recovery signs amid daunting destruction », Associated Press, (lire en ligne [archive du ], consulté le ).
- ↑ (en) Jenna Browder, « Operation Blessing Delivers Meals and Supplies as Thousands Still Without Power After Hurricane Ida », CBN News, .
- ↑ (en) Mark Osborne, William Mansell, Rosa Sanchez, Marlene Lenthang et Meredith Deliso, « Ida updates: Over 50 dead in Northeast after flooding as death toll continues to rise », ABC News, (lire en ligne [archive du ], consulté le ).
- 1 2 3 (en) « Ida Expected to Be Among Costliest Hurricanes to Impact U.S. Mainland, According to Aon Catastrophe Report », Communiqué de presse, sur aon.mediaroom.com, Aon, (consulté le ).
- 1 2 Comité des ouragans, « Le Comité des ouragans supprime Ida de sa liste de noms et se prépare pour la saison 2022 » [archive du ], Communiqué de presse, Organisation météorologique mondiale, (consulté le ).
- ↑ (en) Brown, « Tropical Depression NINE Advisory Number One », National Hurricane Center, (consulté le ).
- ↑ (en) Brown, « Tropical Storm IDA Update Statement », National Hurricane Center, (consulté le ).
- ↑ (en) Brown, « Hurricane IDA Update Statement », National Hurricane Center, (consulté le ).
- ↑ (en) Cangialosi, « Hurricane Ida Tropical Cyclone Update », National Hurricane Center, (consulté le ).
- ↑ (en) Cangialosi, « Hurricane Ida Advisory Number 7 », National Hurricane Center, (consulté le ).
- ↑ (en) Cangialosi, « Hurricane Ida Discussion Number 7 », National Hurricane Center, (consulté le ).
- 1 2 Agence France-Presse, « L’ouragan Ida poursuit sa course vers la Louisiane », La Presse, (lire en ligne, consulté le ).
- ↑ (en) Brown, « Hurricane Ida Intermediate Advisory Number 9A », National Hurricane Center, (consulté le ).
- ↑ Associated Press, « Problèmes énergétiques en vue ? », La Presse, (lire en ligne, consulté le ).
- ↑ (en) Stewart et Pasch, « Hurricane Ida Tropical Cyclone Update », National Hurricane Center, (consulté le ).
- 1 2 (en) Brown et Brennan, « Hurricane Ida Special Advisory Number 13 », National Hurricane Center, (consulté le ).
- ↑ (en) Brown et Brennan, « Hurricane Ida Tropical Cyclone Update », National Hurricane Center, (consulté le ).
- ↑ (en) Brown et Brennan, « Hurricane Ida Tropical Cyclone Update », National Hurricane Center, (consulté le ).
- ↑ (en) Brown, « Hurricane Ida Discussion Number 14 », National Hurricane Center, (consulté le ).
- ↑ (en) Stewart, « Tropical Storm Ida Advisory Number 17 », National Hurricane Center, (consulté le ).
- ↑ (en) Brown, « Tropical Storm Ida Advisory Number 19 », National Hurricane Center, (consulté le ).
- ↑ (en) Hurley, « Tropical Depression Ida Advisory Number 24 », Weather Prediction Center, (consulté le ).
- ↑ (en) Churchill, « Post-Tropical Cyclone Ida Advisory Number 26 », Weather Prediction Center, (consulté le ).
- ↑ (en) Hurley, « Post-Tropical Cyclone Ida Advisory Number 29 », Weather Prediction Center, (consulté le ).
- ↑ « Analyse horaire de 15 UTC le 3 septembre 2021 », sur meteocentre.com, (consulté le ).
- ↑ (de) Deutscher Wetterdienst, « Analyse 2021-09-05 00 UTC », Université libre de Berlin, (consulté le ).
- 1 2 Agence France-Presse, « Ida touche terre à Cuba avant de se diriger vers la Louisiane », La Presse, (lire en ligne, consulté le ).
- ↑ (es) TelePinar 🇨🇺 (@TelePinar), « Pinar de lRío garantizó la evacuación de más de 800 » [archive du ], sur Twitter, (consulté le ).
- ↑ (es) TelePinar 🇨🇺 (@TelePinar), « Huracan Ida se acerca a #PinardelRío. » [archive du ], sur Twitter, (consulté le ).
- ↑ (en) « HURRICANE IDA », National Hurricane Center, (consulté le ).
- ↑ (en) « Gov Edwards Declares State of Emergency due to Tropical Storm Ida », Communiqué de presse, sur gov.louisiana.gov, (consulté le ).
- ↑ (en) Aya Elamroussi et Haley Brink, « Gulf Coast braces for Sunday arrival of Hurricane Ida, potentially a Category 4 storm », CNN, (lire en ligne, consulté le ).
- ↑ (en) Nick Shook, « Cardinals-Saints preseason game canceled due to Hurricane Ida », NFL.com, (lire en ligne, consulté le ).
- ↑ (en) HRFisackerly, « Entergy Mississippi will be expecting significant damage to our system in South MS, the Jackson Metropolitan area as well as threatening weather into North MS. We have acquired a large contingency or resources to respond but please be prepared for extended outages. » [archive du ], sur Twitter, (consulté le ).
- ↑ (en) Paulina Firozi, Gina Harkins et Kendra Nichols, « Ida weakens to tropical storm as it moves to Mississippi with destructive winds, heavy flooding », The Washington Post, (lire en ligne, consulté le ).
- ↑ « De la pluie abondante s’amène sur les provinces de l’Atlantique », Radio-Canada, (lire en ligne, consulté le ).
- ↑ « Le dernier souffle de Ida pourrait laisser beaucoup de pluie et du vent », Radio-Canada, (lire en ligne, consulté le ).
- 1 2 (en) « Death toll rises to at least 20 in western Venezuela floods », Al Jazeera, (lire en ligne, consulté le ).
- ↑ (en) « DREF Plan of Action – Venezuela: Floods » [PDF], ReliefWeb, (consulté le ).
- ↑ (es) TelePinar 🇨🇺 (@TelePinar), « Muy deterioradas las condiciones del tiempo en #PinardelRío. Se siente la llegada del #HuracanIda al territorio vueltabajero 📸Pobladores de #LaColoma https://t.co/mZihfrdPD8 » [archive du ], sur Twitter, (consulté le ).
- ↑ (en) Ryan Smith, « Hurricane Ida: Estimated insured losses revealed » [archive du ], sur insurancebusinessmag.com (consulté le ).
- 1 2 3 (en) Weather Prediction Center, « Storm Summary Number 4 for Heavy Rainfall and Wind Associated with Tropical Depression Ida », NCEP, (consulté en ).
- 1 2 Agence France-Presse, « La Louisiane face aux dégâts « catastrophiques » de l’ouragan Ida », La Presse, (lire en ligne, consulté le ).
- ↑ (en) Storm Prediction Center, « 210830's Storm Reports (20210830 1200 UTC - 20210831 1159 UTC) », National Weather Service, (consulté le ).
- ↑ (en) Storm Prediction Center, « 210831's Storm Reports (20210831 1200 UTC - 20210901 1159 UTC) », National Weather Service, (consulté le ).
- ↑ (en) Storm Prediction Center, « 210901's Storm Reports (20210901 1200 UTC - 20210902 1159 UTC) », National Weather Service, (consulté le ).
- ↑ « Pollution au pétrole dans le golfe du Mexique après le passage de l’ouragan Ida », sur Le Monde.fr, (consulté le ).
- ↑ (en) Kurt Chirbas, « Hurricane Ida death toll rises to 6 and could continue to rise: Live updates », NBC News, live Blog, (lire en ligne [archive du ], consulté le ).
- 1 2 3 (en) Jan Wesner Childs, « Hurricane Ida: Roads Flooded, Buildings Ripped Apart, Hundreds of Thousands Without Power in Louisiana », The Weather Channel, (lire en ligne, consulté le )
- ↑ (en) MargaretOrr, « Grand Isle anemometer broke at 148 mph. @wdsu #lawx #ida https://t.co/nGxprj2nPC » [archive du ], sur Twitter, (consulté le ).
- ↑ (en) « Aerial video, images illustrate scale of damage left by Hurricane Ida in Louisiana », sur news.yahoo.com, (consulté le ).
- ↑ (en) « Drone video shows devastation in Lafourche Parish after Hurricane Ida », NBC News, (lire en ligne, consulté le ).
- ↑ (en) Josh Morgerman (@iCyclone), « 5:04 pm. Houma getting raked by #Hurricane #IDA’s inner eyewall. Very destructive winds. Near whiteout. Lots of flying debris. This place is gonna look different tomorrow. A mean storm. https://t.co/DyInmhi7Mo », sur Twitter, (consulté le ).
- ↑ (en) Reed Timmer (@ReedTimmerAccu), « Massive roof launched with wind gust and hit this power pole in front of Dominator Fore and I can’t even put into words how much worse tbis is going to get in Houma with inner eye wall of Hurricane Ida approaching rapidly @RadarOmega @accuweather https://t.co/DBzFfuCdvh » [archive du ], sur Twitter, (consulté le ).
- ↑ (en) Bureau du NWS de la Nouvelle Orléaans (@NWSNewOrleans), « If you are in the Braithwaite area...SEEK HIGHER GROUND NOW! From the Plaquemines Parish Government #Ida @NHC_Atlantic @GOHSEP #LAwx https://t.co/1wtHCVcDuY » [archive du ], sur Twitter, (consulté le ).
- ↑ (en) Chris Welty, « Levee overtops in Braithwaite », WGNO, (lire en ligne, consulté le ).
- ↑ (en) Chicago & Midwest Storm Chasers (@ChicagoMWeather), « Lots of homes gone and just laying around… power lines, cars flipped, trailers, trees everywhere… @NWSNewOrleans #lawx https://t.co/DecsGVazRD » [archive du ], sur Twitter, (consulté le ).
- ↑ (en) ABC News (@ABC), « Powerful winds from Hurricane Ida ripped off part of the roof of Lady of the Sea General Hospital in Cut Off, Louisiana. No injuries reported despite the significant damage. LIVE UPDATES: https://t.co/a2l9IHKuYJ https://t.co/BbY4d55jMw » [archive du ], sur Twitter, (consulté le ).
- ↑ (en) « Hurricane Ida damage has left Grand Isle ‘uninhabitable,’ Louisiana parish leader says », Fox News, (lire en ligne, consulté le ).
- 1 2 3 (en) David Aaro, « Ida: At least 1 dead, more than a million customers without power in Louisiana », Fox News, (lire en ligne, consulté le ).
- ↑ (en) Chad Calder, « ferry breaks from mooring, runs aground in the Mississippi River », New Orleans Advocate, (lire en ligne, consulté le ).
- ↑ (en) Paroisse de Saint-Bernard (@StBGov), « This is a permanent camera capturing live footage of the MRGO rock dam. The top video is from 8/28/21, the bottom video is from 11am today - 8/29/21. #doesnotprotectstormsurge @LouisianaCPRA @RepGarretGraves @mayorcantrell @USACEHQ @LouisianaGov @SteveScalise @SenBillCassidy https://t.co/ldct8rsliX » [archive du ], sur Twitter, (consulté le ).
- ↑ (en) Brian Sullivan et Sergio Chapa, « Mississippi River is flowing in reverse as Ida pushes inland », National Post, (lire en ligne, consulté le )
- ↑ (en) Scott Gleeson, « Catastrophic photos and video show Hurricane Ida's path of destruction across Louisiana », The Providence Journal, (lire en ligne, consulté le ).
- ↑ (en) Associated Press, « Hurricane Ida traps Louisianans, leaves the grid a shambles », Tampa Bay Times, (lire en ligne, consulté le ).
- ↑ (en) Rebecca Santana, Kevin McGill et Janet McConnaughey, « Hurricane Ida traps Louisianans, leaves the grid a shambles », Associated Press, (lire en ligne, consulté le ).
- ↑ (en) Richard Fausset, Rick Rojas et Patricia Mazzei, « Hurricane Veterans Were Stunned by Ida: 'It's Never Been as Bad'. », The New York Times, (ISSN 0362-4331).
- ↑ (en) Andrea Jennetta, « Ida shuts Entergy's Waterford-3 nuclear plant because of off-site power loss », SPG Global, (lire en ligne, consulté le ).
- ↑ (en) Associated Press, « Ida Updates: Nuclear Plant Loses Offsite Electrical Power », US News, (lire en ligne).
- ↑ (en) Katherine Chiglinsky, « Hurricane Ida Seen Costing Insurers at Least $15 Billion », Bloomberg, (lire en ligne, consulté le ).
- ↑ (en) Joe Sutton, « Man presumed dead after alligator attack in Ida's floodwaters », St. Louis Post-Dispatch/CNN, (lire en ligne [archive du ], consulté le ).
- ↑ (en) Christal Hayes, « Man attacked by alligator in flooded Louisiana waters after Hurricane Ida », USA Today, (lire en ligne [archive du 2021-09-31], consulté le ).
- 1 2 (en) Kendra Nichols, Bryan Pietsch, Adela Suliman et Paulina Firozi, « 2 dead in Mississippi highway collapse; 2 dead in Louisiana », The Washington Post, (lire en ligne, consulté le ).
- ↑ (en) « Hurricane Ida lashes Louisiana, knocks out New Orleans power », AP NEWS, (lire en ligne, consulté le ).
- ↑ (en) Ramon Antonio Vargas, « Frightening surge in carbon monoxide poisonings after Hurricane Ida: Generators 'can kill' », The Times-Picayune, (lire en ligne, consulté le )
- ↑ (en) David Mitchell, « Another confirmed Hurricane Ida death: St. James Parish man killed when his shed collapsed », The Advocate, (lire en ligne, consulté le ).
- 1 2 3 4 (en) Barbara Goldberg, « 'Human toll was tremendous': Ida's death count rises while 600,000 still lack power », Reuters, (lire en ligne, consulté le ).
- ↑ (en) « Property damage from Ida minimal in Biloxi, harbors and marina's are open », SuperTalk Mississippi, (lire en ligne [archive du ], consulté le ).
- ↑ Associated Press, « Une autoroute s’effondre au Mississippi », La Presse, (lire en ligne, consulté le ).
- ↑ (en) Jan Wesner Childs, « Tornadoes Near Philly, South Jersey Cause Extensive Damage », The Weather Channel, (lire en ligne [archive du ], consulté le ).
- 1 2 3 (en) Corey Davis, « Major flooding in Philadelphia and surrounding areas; 7 tornadoes confirmed », WPVI-TV, Philadelphie, PA, (lire en ligne [archive du ], consulté le )
- ↑ (en) « 2021 [KPHI] MOUNT_HOLLY Tornado (TO) Warning (W) Number 49 » [archive du ], sur mesonet.agron.iastate.edu, (consulté le ).
- ↑ (en) Christine Ileto, « Multiple homes destroyed after tornado hits Mullica Hill, NJ », WPVI-TV, Philadelphie, PA, (lire en ligne [archive du ], consulté le ).
- ↑ (en) TaRhonda Thomas et Katie Katro, « EF-2 tornado downs power lines, trees in Fort Washington, Pennsylvania », WPVI-TV, Philadelphie, PA, (lire en ligne [archive du ], consulté le ).
- ↑ (en) Lilly Price, DuBoseBrooks et PhilDavis, « Tornado leaves widespread damage in Annapolis and Edgewater after Tropical Depression Ida hits Maryland », Capital Gazette, (lire en ligne [archive du ], consulté le ).
- 1 2 (en) Michael Bonnor, « Remnants from Ida produced tornado in Dennis with winds reaching 75 mph, National Weather Service confirms », The Republican, (lire en ligne [archive du ], consulté le ).
- ↑ (en) « Tracking Ida: Tornado Watch In Effect Throughout Tri-State Area », CBS News, (lire en ligne [archive du ], consulté le ).
- ↑ (en) Bob Henson et Jeff Masters, « Ida's flooding rains shift to Pennsylvania, New England as tornadoes threaten mid-Atlantic » [archive du ], New Haven, Connecticut, Yale Program on Climate Change Communication, (consulté le ).
- ↑ (en) Susan Danseyar, « Prepare for a deluge: Ida remnants to hit with 'a lot of water' », Yahoo News, (lire en ligne, consulté le ).
- ↑ (en) « 10 children, driver rescued by boat in Frederick Co. after school bus trapped in flood waters », WTOP TV, (lire en ligne [archive du ], consulté le ).
- ↑ (en) Joe Calhoun, « Ida moves out of central pa. », WGAL TV, (lire en ligne [archive du ], consulté le ).
- 1 2 (en) Steve Almasy, Jason Hanna et Holcombe Madeline, « At least 46 people have died after floodwaters from Ida's remnants swamp cities from Virginia to New England », CNN, (lire en ligne, consulté le ).
- ↑ (en) Bob Brooks, « Officials issue evacuation order for parts of Trenton, NJ following severe flooding », WPVI-TV, Philadelphie, PA, (lire en ligne [archive du ], consulté le )
- 1 2 (en) « Governor Lamont issues a state of emergency following flooding across the state from Ida, WTNH Channel 8, September 2, 2021 », WTNH-TV, (lire en ligne [archive du ], consulté le ).
- ↑ (en) David Altimari, « Connecticut state trooper dead after being swept away by flooding in Woodbury », Hartford Courant, (lire en ligne [archive du ], consulté le )
- ↑ (en) Brian Amaral, Carlos R. Muñoz et Amanda Milkovits, « Heavy rains from Ida collapse roads, cause severe flooding in R.I. », The Boston Globe, (lire en ligne [archive du ], consulté le ).
- 1 2 3 4 5 6 Agence France-Presse, « Tempête Ida : Au moins 44 morts dans la région de New York », La Presse, (lire en ligne, consulté le ).
- ↑ (en) « What we know about the people who died in the flooding. », The New York Times, (ISSN 0362-4331, lire en ligne [archive du ], consulté le ).
- 1 2 « Ida dans l'est du pays : plus de 140 mm de pluie enregistrés jusqu'à présent », Météo-Média, (consulté le ).
- ↑ « De nouveaux records de pluie établis par endroits dans les Maritimes », ICI Radio-Canada, (lire en ligne, consulté le ).
- ↑ « Une pluie diluvienne tombe sur les Îles-de-la-Madeleine », ICI Radio-Canada, (lire en ligne, consulté le ).
- ↑ Service météorologique du Canada (@ECCCMeteoQC), « Les restes d'Ida ont laissé 100 mm de pluie aux Îles-de-la-Madeleine » [archive du ], sur Twitter, (consulté le ).
- 1 2 Service météorologique du Canada (@ECCCMeteoQC), « Sommaire météorologique » [archive du ], sur Twitter, (consulté le ).
- ↑ Zone Environnement- ICI.Radio-Canada.ca, « Importantes inondations à Grande-Vallée : une douzaine de familles évacuées », sur Radio-Canada.ca (consulté le ).
- ↑ Service météorologique du Canada, « Données historiques : Terre-Neuve et Labrador », Environnement et Changement climatique Canada, (consulté le ).
- ↑ (en) Patti Domm, « Oil, gasoline prices rise as Ida kicks hurricane season into a higher gear », CNBC, (lire en ligne [archive du ], consulté le ).
- ↑ Agence France-Presse, « Pollution au pétrole dans le golfe du Mexique après le passage d’Ida », La Presse, (lire en ligne, consulté le ).
- ↑ (en) Mia McCarthy, « Mass. task force sent to Louisiana to assist with Hurricane Ida », Boston.com, (lire en ligne [archive du ], consulté le ).
- ↑ (en) « Houston-based group that formed during Harvey is ready to help Hurricane Ida victims », KHOU-TV, (lire en ligne [archive du ], consulté le ).
- ↑ (en) Tim Renaud, « Moncks Corner business collecting supplies for Hurricane Ida victims », WCBD-TV, (lire en ligne [archive du ], consulté le ).
- ↑ (en) « Hurricane Ida: One million people in Louisiana without power », BBC News, (lire en ligne [archive du ], consulté le ).
- ↑ (en) Madeline Holcombe, Holly Yan et Eric Levenson, « Ida left more than 1 million without power, possibly for weeks. And now comes the scorching heat », CNN, (lire en ligne [archive du ], consulté le ).
- ↑ (en) « Ida weakens to tropical storm after delivering 'catastrophic' damage », NBC News, (lire en ligne [archive du ], consulté le )
- ↑ (en) Zachary Rosenthal, « True scope of Ida's destruction becoming clearer in wake of storm », AccuWeather, (lire en ligne [archive du ], consulté le )
- ↑ (en) Kevin Kelley, « Oklahoma at Tulane football game moved to Norman due to Hurricane Ida » [archive du ], FBSchedules.com, sur fbschedules.com, (consulté le ).
- ↑ (en) « Tulane Athletics Announces Fall Sports Scheduling Update », WGNO, (lire en ligne, consulté le ).
- ↑ (en) « Saints planning to use interim facility for first four weeks of season due to Hurricane Ida », NFL.com, (lire en ligne [archive du ], consulté le ).
- ↑ (en) « Packers-Saints to be played at Jacksonville's TIAA Bank Field in Week 1 », NFL.com, (lire en ligne [archive du ], consulté le ).
- ↑ (en) « Ida remnants drench already waterlogged Tri-State », WABC-TV, New York, NY, (lire en ligne [archive du ], consulté le ).
- ↑ (en) « School Closings and Delays », WABC-TV, (lire en ligne [archive du ], consulté le ).
- ↑ (en) « N.J. weather: Newark airport resumes flights amid delays after terminal floods, tower evacuated », NJ.com, (lire en ligne [archive du ], consulté le ).
- ↑ (en) « Rutgers-Temple football game postponed to Saturday », NJ.com, (lire en ligne [archive du ], consulté le ).
Liens externes
- (en) National Hurricane Center, « Hurricane Ida Advisory Archive », Nation Weather Service.
- (en) « Hurricane IDA », National Hurricane Center, .
- Liste des noms retirés d'ouragans/Liste des cyclones tropicaux au nom retiré par bassin
|
|
- Portail de la météorologie
- Portail des États-Unis
- Portail de Cuba
- Portail du Canada
- Portail des années 2020

