Ouragan Ike
L'ouragan Ike est le 9e système tropical, le 5e ouragan et le 3e ouragan majeur (catégorie 3 ou plus) de la saison cyclonique 2008 dans l'océan Atlantique nord[2],[3]. Il est du type ouragan capverdien, issu d’une onde tropicale s’étant formée au large des Îles du Cap-Vert à la fin d’août. Ike s’est lentement développé sur l’océan Atlantique pour atteindre brièvement la catégorie 4, le au matin, avec des vents soutenus de 238 km/h et une pression centrale de 935 hPa[1]. Ceci en a fait l’ouragan le plus intense de la saison 2008.
|
Ouragan Ike
| ||||||||
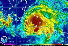
Ike approchant Galveston (Texas) | ||||||||
| Apparition | 1er septembre 2008 | |||||||
|---|---|---|---|---|---|---|---|---|
| Dissipation | 16 septembre 2008 | |||||||
| Catégorie maximale | Ouragan catégorie 4 | |||||||
| Pression minimale | 935 hPa | |||||||
| Vent maximal (soutenu sur 1 min) |
238 km/h[1] | |||||||
| Dommages confirmés | 31,5 milliards $US (2 008) | |||||||
| Morts confirmés | 195 (103 directs et 92 indirects) et 26 disparus | |||||||
| Blessés confirmés | N/D | |||||||
| Zones touchées | ||||||||
Trajectoire de l'ouragan Ike. Il est ensuite devenu une dépression extratropicale et s'est dirigé vers le nord-est.
| ||||||||
| Saison cyclonique 2008 dans l'océan Atlantique nord | ||||||||
Le , la bande externe de l’ouragan touche Haïti et ses pluies font plus de 74 morts. Le , alors un ouragan de catégorie 3, il frappe directement Cuba d'est en ouest avant de perdre de la puissance et de redescendre à la catégorie 1. Il regagne des forces dans le Golfe du Mexique et le , redevenu de catégorie 3, il touche terre à Galveston, au Texas. Ike frappe le la ville de Houston, dans le même État. Au total, Ike a fait 195 morts, 102 directs et 93 indirects, et causé des dommages estimés à 31,5 milliards $US aux États-Unis et Cuba (sans compter les autres pays touchés)[4],[5]. Ike est ainsi devenu le troisième ouragan le plus coûteux à passer sur les États-Unis, après Andrew en 1992 et Katrina en 2005[6].
Le diamètre autour de Ike où on pouvait rapporter des vents de force de tempête tropicale a atteint 885 km et ceux de force d’ouragan jusqu’à 390 km, ce qui en a fait l’un des plus larges jamais rapportés dans le bassin atlantique[7]. L’ouragan Ike est également le second plus énergique des 40 dernières années selon le calcul de l’énergie cinétique, un calcul qui intègre le diamètre du système et la vitesse de ses vents. Dans cette échelle qui va de 1 à 6, Ike se classait à 5,2 le à 16h30 TU alors que les ouragans Katrina et Wilma de la saison cyclonique 2005 dans l'océan Atlantique nord ont atteint 5,1. Ceci indique que l’onde de tempête causée par les vents de Ike était potentiellement plus destructrice que pour ces deux ouragans[8],[9].
À cause des conséquences importantes de cette tempête, le nom Ike a été retiré des listes de futurs noms utilisables pour nommer les prochains ouragans.
Évolution météorologique
Un creux barométrique d’altitude a quitté l’ouest du Soudan le et s’est dirigé vers l’ouest en passant au-dessus du Nigeria et du Mali avant d’atteindre la côte du Sénégal le [10]. En atteignant l’océan Atlantique, l’onde tropicale s’est intensifiée en continuant vers l’ouest-nord-ouest.
Le , elle avait commencé à produire des nuages convectifs et le National Hurricane Center lui donnant le nom de dépression tropicale numéro Neuf. L’organisation des bandes orageuses prenait une forme en arcs autour d’une circulation cyclonique fermée sur les photos du satellite météorologique. L’estimé par la technique de Dvorak de ces images avait montré que l’onde avait atteint antérieurement le statut de dépression mais le NHC avait attendu que la convection s’organise avant de la classer dans cette catégorie[11]. À 21 heures TU le même jour, elle fut reclassée comme tempête tropicale Ike grâce à son intensification rapide dans un environnement favorable. Les météorologistes prévoyaient qu’elle serait un ouragan 36 heures plus tard[12]. Cependant, le développement cessa durant la nuit suivante et une partie de la bande Est de nuages s’éroda à cause du cisaillement des vents avec l’altitude dans ce secteur[13]. Au matin du , Ike reprit de la force alors que le cisaillement s’amoindrissait[14]. Les orages devinrent très intenses autour du centre du système au cours de la journée et sa vitesse de déplacement augmenta à 29 km/h grâce à la circulation créée par un anticyclone des niveaux moyens dans son quadrant nord-est[15].

Le même scénario s’est répété la nuit et le jour suivant, maintien durant la nuit et intensification le jour. Tard le matin du , un œil est apparu sur les images satellitaires infrarouge et il est devenu clairement visible en après-midi, ce qui a permis au NHC de reclasser le système au niveau d’ouragan de catégorie 1, dans l’échelle de Saffir-Simpson, alors qu’il était à 21,6N 52,7W, en plein océan[16],[17]. Les conditions de faible cisaillement et de températures chaudes de la mer permettaient de prévoir une intensification explosive, ce qui lui permit d’atteindre la catégorie 3 seulement trois heures plus tard[18]. Les vents estimés par la technique de Dvorak étaient de 185 km/h et la pression centrale était tombée de 24 hPa durant cette courte période[18],[19].
Il est passé à la catégorie 4 vers 3 h TU le , ayant à ce moment des vents de 217 km/h et une pression centrale de 948 hPa[20]. Tôt le même matin, l’ouragan Ike a atteint son intensité maximale avec des vents de 238 km/h et une pression centrale de 935 hPa[1], ce qui en a fait le plus intense ouragan de la saison 2008. Ike est ainsi passé de tempête tropicale à un ouragan majeur de catégorie 4 en environ 24 heures, sa pression s’abaissant de 61 hPa.
Les météorologistes prévoyaient ensuite un affaiblissement de Ike alors qu’il était pour entrer dans une zone de cisaillement des vents du nord plus importantes, due au renforcement d’un anticyclone sur sa bordure nord. Effectivement le sommet des nuages autour de l’œil ont commencé à diminuer peu après, montrant un affaiblissement[21],[22]. Cette tendance s’est confirmée durant l’après-midi du , et bien que l’œil se soit mieux défini durant la nuit suivante, Ike a continué de faiblir. Le au matin, les nuages de la partie de nord de l’ouragan commencèrent à s’éroder et l’œil devint moins bien organisé et les photos satellitaires montrèrent qu'il ne s'agissait d'un remplacement du mur de l’œil[23]. Les images subséquentes montrèrent que la convection se concentrait dans la partie sud le l'œil et que le secteur nord se dissipait sous l’influence du fort cisaillement des vents[24]. En après-midi du 5, Ike était redescendu à la catégorie 3 supérieure et se dirigeait vers le sud-ouest. Il a ensuite maintenu cette intensité la nuit suivante. Un œil de 48 km de diamètre s’est bien reformé mais il était couvert de nuages[25]. Tard le matin du , le cisaillement des vents avait descendu Ike à la catégorie 2[26].
Ike est finalement sorti de la zone défavorable en après-midi et s’est intensifié de façon explosive. Un avion de reconnaissance a confirmé que seulement 6 heures après avoir descendu à la catégorie 2, il était revenu à la de catégorie 4, avec des vents soutenus de 217 km/h, alors qu’il était près des îles Turques-et-Caïques[27]. C’est à cette intensité que les îles ont été frappées le au matin. Les conditions environnementales était ensuite même favorables à une intensification jusqu’à la côte de Cuba[28].

En fait, Ike a frappé la côte cubaine près de Cabo Lucrecia, dans la province de Holguín, à la catégorie supérieure 3, le soir du [29]. Il a ensuite suivi l’axe de l’île en traversant les provinces de Holguin, Las Tunas et de Camagüey. Ike est ressorti dans la mer des Caraïbes le et a touché la province de Pinar del Río, sur la pointe nord-ouest de Cuba, avant d’entrer dans le golfe du Mexique l’après-midi du [30].
Durant la nuit du 9 au et le jour suivant, Ike s’est à nouveau intensifié, passant de 967 hPa à 947 hPa, grâce aux eaux chaudes du golfe. Ceci ne se refléta pas cependant en des vents beaucoup plus forts, ceux augmentant seulement de 24 km/h pour atteindre 161 km/h[31],[32]. Les avions de reconnaissance et l’analyse satellitaire montraient, selon le National Hurricane Center, une structure à multiples zones de vents intenses ce qui indiquait que l’énergie du cyclone était en train de se répartir sur un plus large diamètre au lieu de se concentrer près du centre du système.

Durant les deux jours suivants, Ike a maintenu une trajectoire vers l’ouest, n’augmentant que légèrement ses vents à 177 km/h, soit un ouragan de catégorie 2 supérieure. Cependant, le rayon autour du cyclone des vents violents était exceptionnellement grand. En approchant de la côte du Texas, le mur de l’œil devint très bien organisé et le centre de Ike frappa l’île de Galveston le à 2 h 10 locale (7 h 10 TU), bien après que ses effets ont commencé à être ressentis. La pression centrale était de 952 hPa, les vents de force d’ouragan s’étendaient jusqu’à 190 km du centre, et ceux de vents de tempête jusqu’à 443 km[33] ,[34].
Une fois entré sur terre, Ike a graduellement changé sa trajectoire vers le nord puis le nord-est. Il a rapidement perdu son intensité et ses vents étaient sous le seuil de tempête tropicale quand il est passé à 160 km à l'est de Dallas, Texas. Ike est devenu une dépression tropicale ensuite et est passé près de Saint-Louis (Missouri). Continuant vers le nord-est, il a fusionné avec un front froid venant de l’ouest et est devenu extratropical tôt le . Il a traversé le Midwest américain puis a atteint le sud de l’Ontario, au Canada, le avant de traverser le Québec le 15. Il a quitté l’Amérique du Nord vers l’Atlantique au niveau de la mer du Labrador le . Tout au long de sa trajectoire sur le continent, il a donné des pluies diluviennes et localement des vents violents[35],[36]. Des tornades ont été signalées dans la portion sud de cette trajectoire.
Préparatifs
Cuba
À Cuba, entre 1,9 et 2,6 millions de personnes évacuées des zones à risque, dont 10 000 touristes étrangers, selon la Défense civile[37],[38]. Les quatorze provinces de ce pays de 11 millions d'habitants ont été mises en phase d'alerte cyclonique maximale le , avec interdiction de circuler sans autorisation.
États-Unis
- Floride

Le , le gouverneur de Floride, Charlie Crist, a déclaré l’état d’urgence en prévision de l’arrivée de Ike pour le . À Key West, les autorités ont déclaré l’évacuation obligatoire des îles pour les touristes le . Les résidents ont dû évacuer, en commençant par les îles les plus éloignées du continent, à partir de 8 h le matin du [39]. FEMA a déployé des équipes et de l’équipement pour répondre aux urgences en Floride et tout le long de la côte du golfe du Mexique[40].
- Texas

Le , le président des États-Unis, George W. Bush, a fait une déclaration d’urgence à propos de l’arrivée de Ike sur la côte du Texas. Il a promis l’aide fédérale pour l’évacuation et les préparatifs[41]. Quelque 1 500 soldats américains ont été mis en alerte et l'USS Nassau, un bâtiment de débarquement avec 45 hélicoptères et quatre avions, a appareillé pour le golfe du Mexique[42].
Les organismes ruraux de traitement des eaux des États-Unis ont activé le plan d’entraide en vue de l’arrivée de Ike, en même temps qu’ils se préparaient pour le passage de l’ouragan Hanna sur la côte Est des États-Unis et qu’ils s’occupaient encore des dégâts laissés par l’ouragan Gustav[43],[44]. Le , l’association du Texas s’est réunie le pour activer les plans d’urgence dans cet État[45].
Le , la trajectoire prévue de Ike le faisait toucher le côte juste au sud de Galveston. Le gérant de la ville, Steve LeBlanc, a alors émis un avis d’évacuation pour les parties près des côtes de l’île[46]. L'avis d'évacuation a été étendu par la suite à toute l'île et aux zones inondables autour de Houston[47]. À 20 h 19 locale, le bureau du National Weather Service de Houston/Galveston a publié un bulletin d’alerte très pressant concernant la haute de l’onde de tempête qui déferlerait dans la baie de Galveston. Le message insistait que les résidents de maisons unifamiliales près de la côte risquaient la mort en n’évacuant pas[48],[49],[50]. Malgré tout, on estime à 40 % la population de l’île qui n’a pas quitté les lieux, ainsi que la ville de Port Arthur tout près[51]. Les modèles numériques de prédiction de la hauteur de l’onde de tempête prédisaient qu’elle monterait jusqu’à 7 mètres avec des vagues de plus de 20 mètres tout le long de la côte entre Morgan City en Louisiane et Baffin Bay au Texas[52].
Golfe du Mexique
Le passage de l'ouragan Ike dans le Golfe du Mexique a forcé la Shell, ExxonMobil, Chevron et Total à évacuer leurs plates-formes pétrolières. De plus, treize raffineries ont fermé leurs portes, freinant l'exploitation de 3,7 millions de barils par jour aux États-Unis, soit environ 20 % de la production[42]. Le prix de l’essence a donc connu une hausse spectaculaire à cause de ces évacuations et des répercussions à moyen terme si elles ne pouvaient reprendre rapidement la production[53]. Le président George W. Bush a assuré que son administration garderait un œil sur l'évolution du prix des carburants, « pour s'assurer que les consommateurs ne seront pas lésés » par des mouvements spéculatifs indus[42].
Bilan
| Pays | Décès | Disparus |
|---|---|---|
| Haïti | 74 | ? |
| République dominicaine | 1 | ? |
| Cuba | 7 | ? |
| États-Unis | 112 | 26 |
| Total | 195 | 26 |
Îles Turques-et-Caïques
Le gouvernement des îles Turques-et-Caïques a déclaré les îles de Grand Turk et de South Caicos zones sinistrées. Selon le centre de réponse des urgences des Caraïbes (Caribbean Disaster Emergency Response Agency), le traitement de l’eau et l’électricité a été interrompu dans tout le pays par les bris causé par les vents de 215 km/h. Des équipes des pays environnants, du Canada et des Bermudes sont venus pour aider à remettre le réseau électrique sur pied[54].
Sur Grand Turc et South Caicos, 95 % des maisons ont été endommagées, de 20 % à 33 % de façon importante. Les autres îles ont connu des dommages parfois importants mais plus épars. Sur Grand Turk, les cliniques et hôpitaux ont subi des dommages aux toitures et aux structures, menant à leur fermeture temporaire. Les pharmacies et magasins de toutes sortes ont également subi d’importants dommages, compliquant le travail des secours. De l’aide a été obtenue avec la collaboration de l’organisation pan-américaine de santé mais le logement du personnel médical a été problématique[54].
L’agriculture a été fortement touchée dans les îles de North et Middle Caicos, alors que c’est la pêche qui a été touchée dans South Caicos. Les aéroports principaux ont été inondés mais ont pu rouvrir après quelques jours. Les routes ont été jonchées de débris et inondées en plusieurs endroits[54]. Le téléphone par fils a été fortement touché par les bris alors que celui par téléphonie mobile a pu être remis en fonctionnement rapidement. De même, les télécommunications n'ont subi que des dommages mineurs[54].
Le gouvernement et les organisations non gouvernementales, comme la Croix-Rouge, ont organisé les secours en mettant l’accent sur la nourriture et les abris temporaires. Les ingénieurs militaires de la Regional Military Engineering Unit, qui inclut des contingents de la Barbade, du Belize, de Saint-Christophe-et-Niévès ainsi que de Trinité-et-Tobago ont été déployés pour assister les autorités locales[54].
Hispaniola

Les bandes orageuses externes de l’ouragan Ike ont touché l’île d’Hispaniola, causant des inondations supplémentaires en Haïti. Ike était en effet le dernier en date de quatre cyclones à passer dans le secteur en quelques semaines : la tempête tropicale Fay, les ouragans Hanna et Gustav. Le dernier pont encore sur pied aux Gonaïves fut emporté par les eaux, ce qui isola encore plus cette ville déjà aux prises avec un important problème d’approvisionnement en nourriture et en aide humanitaire.
On rapporte 74 morts avec Ike en Haïti par noyade dans les coulées de boue et les rivières d’eau en crue, dont la majorité ont été signalés le long de la côte à Cabaret[55],[56]. La première ministre Michèle Pierre-Louis a demandé l’aide de la communauté internationale une fois de plus, en précisant que les quatre tempêtes ont fait plus de 550 morts et un million de sans-abris. Elle a déclaré que la ville des Gonaïves devrait peut-être être reconstruite en un autre endroit, tellement les dommages étaient étendus[57].
L'aide mondiale est arrivée massivement aux Gonaïves à partir du . Près de 400 tonnes ont été débarquées au port, dont 150 tonnes de nourriture, durant les deux premiers jours. L'arrivée de l'aide a suscité des bagarres entre les candidats débardeurs, un travail payé 8 à 10 euros par jour, une fortune pour les Haïtiens. De plus, les autorités leur ont interdit de venir avec des sacs pour prévenir d'autres bagarres pour le riz tombé des sacs déchargés. Le Programme alimentaire mondial (PAM) a demandé de renforcer la surveillance policière des docks afin d'éviter le pillage[58].
La situation était tellement désespéré dans la région que dans un dispensaire-hôpital mis sur pied par Médecins sans frontières (MSF), un homme venu visiter un malade a été massacré par les autres patients quand il a été pris pour un voleur. Les médecins n'ont rien pu faire. Les convois d'aide alimentaire et les véhicules des ONG doivent obligatoirement être escortés par la police ou des Casques bleus de l'ONU, y compris monter à bord de véhicules véhicules blindés[58]. Partout dans la ville, c'était la course aux cadenas et aux chaînes[58].
En République dominicaine, on signale la mort d'un homme de 60 ans, par la chute d'un arbre, et quelque 41 000 réfugiés des pluies diluviennes et des vents violents[59].
Cuba

L'ouragan a traversé en deux jours l'île de Cuba. Des torrents d'eau, des vents violents, une importante onde de tempête et des vagues énormes se sont abattus de la province de Holguin à celle de Pinar del Rio coupant l'électricité, détruisant plusieurs édifices et faisant 7 morts[60]. Les mesures para-cycloniques mises en place par les autorités de Cuba, dirigées d'une main de fer, ont cependant permis de limiter les décès en évacuant près de 2,6 millions de personnes. En fait, les décès signalés après le passage de Ike sont surtout dus à l'effondrement de maisons et elles étaient les premières depuis l'ouragan Dennis en 2005[38].
Le lundi , certains évacués ont commencé à rentrer sur le centre et l'est du pays pendant que Ike faisant encore rage dans l'extrême ouest. Dans la capitale cubaine, La Havane, des brigades de secouristes étaient déjà déployées pour dégager des rues bloquées par la chute d'arbres ou de feux de signalisation. Seize bâtiments se sont écroulés sans faire de victimes[38]. Dans la quasi-totalité des régions la mer a inondé les zones côtières et fluviales. Des interruptions généralisées du service des communications ont été provoquées par les chutes d’arbres, de poteaux téléphoniques et de tours de transmission[61].
Le bilan préliminaire des dégâts au montraient que la plupart des provinces de l'île ont été touchées à des degrés divers. Les plus lourds dommages ont été enregistrées dans les provinces de La Havane rurale et La Havane-Ville[61]. L’approvisionnement en électricité a été perturbé dans pratiquement tout le pays par l’action des vents violents et des pluies torrentielles, mais aussi par des coupures qui s’imposèrent pour éviter des dommages majeurs aux installations. Le service a été graduellement rétabli grâce à des microsystèmes groupes électrogène, cependant le réseau de distribution a tellement été touché que la reconnexion au réseau électrique national prendra un certain temps dans certaines régions[61]. Seules les provinces de Santiago de Cuba, Granma et une partie de Guantanamo qui ont pu être connectées à la centrale thermo-électrique Renté[61].
Dans l’agriculture, Ike a occasionné des dégâts dans 205 cultures en serre et dans la plupart des pépinières. Toutes les régions caféières de l’est du pays ont été frappées et la récolte est perdue dans certaines communes du fait de l’action des vents et des pluies, notamment à Mayari, Sagua de Tanamo, Maisi et dans la province de Granma[61]. Ike a provoqué la perte totale de plus de 32 305 hectares de bananiers et de plus de 1 000 hectares d’autres cultures dans les provinces de l’est du pays[61]. Plus de 156 000 hectares de canne à sucre ont été couchés par les vents, 518 879 ont été inondés et 3 895 de canne nouvelle ont été perdus[61]. Environ 40 000 tonnes de sucre mouillé par la pluie devront être retraitées[61]. Ike ayant suivi l'ouragan Gustav à moins de huit jours d'intervalle, les autorités ont déclaré que la destruction était la pire jamais enregistrée[4]. Finalement, on a signalé la perte de plus d’un demi-million de volailles, particulièrement à Sancti Spíritus, Matanzas, Las Tunas et Camagüey[61].
Les installations industrielles ont également été touchées : toitures et cheminées arrachées, fenêtres et vitres brisées, entrepôts et leur contenu détériorés, paralysant l'industrie. On note la destruction partielle ou totale de 2 642 installations du ministère de l’Éducation, de 186 jardins d’enfants, de dommages sévères infligés aux Instituts pédagogiques de Holguin, Las Tunas et Camagüey ainsi qu'aux universités de Cienfuegos, Sancti Spíritus, Matanzas, Villa Clara, Holguin, etc.[61]. En ce qui concerne les établissements de santé, les plus grands dommages ont été causés aux services de néonatologie des hôpitaux Enrique Cabrera, Aballi, à l’hôpital gynéco-obstétrique Eusebio Hernandez, aux hôpitaux 10 de Octubre et William Soler, ainsi qu’à l’hôpital orthopédique Fructuoso Rodriguez[61].
Du point de vue des transports, des milliers de kilomètres de routes et de chemins ont été endommagés dans tout le pays par les chutes d'arbres, des éboulements et des crues. Tous les ponts de la route reliant Cayo Coco à l’île principale ont été touchés, de même que les canalisations d’eau potable. Sept ports ont été fermés et des dégâts importants ont été causés aux hangars ainsi qu’aux systèmes de balisage et de signalisation à l’entrée des ports[61].
Les réservoirs hydrauliques du pays se sont remplis à 86 % du total de leur capacité utilisable, ce qui représente une hausse de 1,791 milliard de mètres cubes par rapport au vendredi . Cent vingt-huit barrages ont été forcés de déverser leur trop-plein, soit 94 de plus qu’avant le passage de l’ouragan Ike[61].
Le candidat présidentiel Barack Obama et certains représentants de la communauté cubaine de Miami ont demandé à l’administration Bush d’observer une trêve de quatre-vingt-dix jours de l’embargo contre Cuba, en place depuis 1960, afin de permettre à l'ile d’acheter d’urgence des médicaments, des aliments et du matériel de construction à travers des lignes de crédit privés. Le gouvernement américain a cependant refusé[62].
États-Unis
Les rapports préliminaires du étaient de soixante-dix morts : trente-trois morts au Texas, huit en Louisiane, un en Arkansas, deux au Tennessee, un au Kentucky, sept en Indiana, quatre au Missouri, deux en Illinois, deux au Michigan, sept en Ohio et un en Pennsylvanie[63]. Les dommages étaient estimés alors à 18 milliards $US[64]. Au , le compte était monté à 82 personnes décédées à la suite du passage de Ike et de 202 toujours manquantes[65],[66],[67],[68],[69]. Le , le Congrès des États-Unis a tenu une minute de silence à la mémoire des disparus.
Golfe du Mexique
Le , le cargo MV Antalina est parti avec d’autres navires de Port Arthur (Texas) pour s’éloigner de la trajectoire de l’ouragan Ike. Il avait un équipage de vingt-deux hommes et transportait du coke. Le , les moteurs du bâtiment ont flanché à 150 km de la côte et il partit à la dérive. Après un essai de réparation infructueux, le capitaine a demandé à l'US Coast Guard d’évacuer ses hommes mais les conditions météorologiques étaient tellement mauvaises qu’aucun sauvetage n’était possible[70]. L’équipage a dû affronter la tempête tout en restant en contact avec la garde-côtière[71],. Heureusement, ils ont pu échapper au naufrage et le , un remorqueur a pu être dépêché vers le navire pour le tirer d’affaire[72].
Avant l'arrivée du cyclone, les prix de gros de l'essence ont fait un bond à plus de cinq dollars américains le gallon (3,78 litres) contre 3,64 $US en moyenne la semaine précédente aux États-Unis, selon le Département des Transports[73]. Ces prix sont redescendus rapidement car très peu de plateformes de forage furent endommagées et aucune raffinerie n'a subi de dommages importants. Au , on rapportait que seulement 49 plateformes sur les 3 800 que compte le golfe ont été détruites, ce qui se compare à 44 pour l'ouragan Katrina en 2005[74],[75]. La British Petroleum a indiqué que le derrick sur sa plateforme Mad Dog avait été renversé par les vents et qu'elle ne pouvait estimer le retour en production de celle-ci[74]. Finalement, deux plateformes ont rompu leur ancres mais leurs équipages ont réussi rapidement à les stabiliser après le passage de Ike.
Cependant, Ike ont causé certains dommages aux pipelines des plateformes et aux citernes des raffineries, permettant à au moins 1,9 million de litres (0,5 million de gallons américain) de pétrole ont ainsi été déversés dans le golfe du Mexique, les marais, les bayous et les baies du Texas et de la Louisiane. Les zones les plus touchées sont celles près de Houston et Port Arthur, au Texas, et près des puits au large de la côte de la Louisiane[76]. La US Coast Guard, l’agence de protection de l'environnement des États-Unis (EPA) et les agences de l’environnement des États ont également répondu à plus de 3 000 signalement de déversements toxiques, dont plusieurs d’origines domestiques reliés à des réservoirs à propane, de boîtes de peintures, etc., emportés par les flots[76].
Louisiane

L’onde de tempête précédant Ike a frappé la côte de la Louisiane bien avant l’arrivée de Ike au Texas. La côte sud et sud-ouest de la Louisiane, se relevant des inondations causées par l’ouragan Gustav moins de deux semaines avant, ont à nouveau été sous les flots[77]. Certains endroits où le réseau de distribution d’électricité était encore hors circuit après Gustav ont vu de nouveaux dommages se produire et 200 000 personnes étaient sans électricité après le passage de Ike[78].
La région la plus durement touchée fut celle de la paroisse de Cameron, déjà durement touchée en 2005 par l’ouragan Rita. La mer a envahi jusqu’à Lake Charles (Louisiane) et des centaines de personnes ont dû être secourues, dont 363 par le personnel du ministère des pêches et des parcs de la Louisiane, de la garde nationale et de l'US Coast Guard[79],[80].
Une personne s’est noyée dans le bayou de la paroisse de Terrebonne et une autre a été tuée par des débris emportés par le vent près de Houma[81],[82]. Finalement, deux personnes sont mortes dans un accident de la route en évacuant la paroisse d'Iberville, deux autres de mort naturelle et deux travailleurs venant d’Oklahoma se sont électrocutés en effectuant des réparations sur le réseau électrique[83],[82],[84].
Texas
- Galveston

L’ouragan Ike a suivi une trajectoire assez similaire à l’ouragan de Galveston le . Dans ce dernier cas, l’inondation associée avec l’ouragan avait rasé l’île de Galveston et tué plus de 6 000 personnes. En conséquence, le niveau de l’île avait été rehaussé de 1,3 mètre et un mur de protection a été érigé du côté du Golfe du Mexique. Les vagues générées par Ike sont venues s’écraser sur ce mur de 5,2 mètres à partir de 9 h du matin le [85]. Vers 16 h locale (21 h 00 TU), l’onde de tempête a commencé à passer par–dessus le mur et plusieurs zones derrière celui-ci ont vu l’inondation débuter[86].

Le point d'impact du centre de Ike devait être près de Freeport, selon les prévisions du du NHC[87],[88]. Le matin du à 2 h 10, l’œil de l’ouragan Ike est cependant passé un peu plus à l'Est, dans le détroit juste à la pointe Est de l'île de Galveston, près de Texas City[89]. Comme les vents sur la ville de Galveston soufflèrent du nord, ils repoussèrent un peu les eaux du Golfe et l'onde de tempête y fut un peu plus faible que prévu à 5,8 mètres. Cela était cependant suffisant pour passer au-dessus du mur de protection[90].
C'est la région à l'Est de l'œil qui a eu la plus forte onde avec 6,5 mètres à Sabine Pass, une centaine de kilomètres à l'est de Galveston (voir carte), la plus importante jamais enregistrée pour un ouragan de catégorie 4[91],[92]. Cette onde de tempête plus importante à l'est de l'île a pu s'engouffrer dans la baie de Galveston puis s'ajouter avec la marée montante (marée haute à 4 h 14) de 2,3 mètres pour venir inonder les arrières de la ville[93]. La ville était donc entourée d'eau de toutes parts.
Malgré l’ordre d’évacuation donné, la porte-parole de la mairie de l’île, Mary Jo Naschke, a déclaré qu’on estimait que jusqu’à un quart de la population avait décidé de rester[85],[94]. Plusieurs personnes qui n’évacuèrent pas les zones côtières de l’île et qui demeurèrent dans des édifices bas ont fait face à une mort certaine à cause de l’énorme onde de tempête[86],[95]. Ike a détruit des centaines de bâtiments. Des poutres et charpentes de maison, des télévisions et des bateaux échoués jonchèrent les rues et la mer a emporté des milliers de véhicules[96]. On a rapporté 2,8 mètres d’eau au centre-ville, inondant des édifices comme le « Galveston County Courthouse » et le campus médical de l’université du Texas à Galveston[89].
- Péninsule Bolivar
Sur la péninsule Bolivar, juste à l'est de l'île de Galveston, des dizaines de personnes durent être sauvées des inondations de plus de 3,7 mètres causées par l’onde de tempête. La péninsule a encaissé le plus fort de l’ouragan, se situant dans le quadrant nord-est de celui-ci. Les dommages furent extrêmes entre Rollover Pass et Gilchrist[97]. Selon les médias, 80 % à 95 % des maisons furent touchées et un grand nombre de personnes n’ayant pas évacué avant Ike sont portées disparues[98].
- Houston

Les pannes électriques dans l’est du Texas ont commencé avant 20 h le , avec la bordure externe du système[86]. Entre 2,8 et 4,5 millions de personnes ont été plongées dans le noir[99],[100]. L’œil de l’ouragan est ensuite passé à Houston, les fenêtres de plusieurs gratte-ciels du centre-ville ont volé en éclats sous la force des vents, dont celles de la tour de 75 étages de JP Morgan Chase (tour JP Morgan Chase), les fils électriques ont été arrachés et le stade de football Reliant a été endommagé, forçant la remise du match entre les Texans de Houston et les Ravens de Baltimore qui devait avoir lieu le [89],[101]. Les bris électriques étaient tellement généralisés que le service ne devait reprendre dans certains secteurs de la ville que le . Heureusement, le passage rapide de la tempête n’a pas permis à l’onde tempête d’aller très loin dans les terres et les inondations ont été minimales dans la ville[89].
L’ouragan a également empêché l’équipe de baseball des Astros de Houston de jouer leurs matchs de fin de saison des 12, 13 et contre les Cubs de Chicago[102]. Comme l’équipe était en quête d’une place pour les éliminatoires, deux des parties furent jouées à Milwaukee les 14 et 15[103]. La dernière partie devait être reprise le à Houston mais comme l’équipe a été mathématiquement éliminée le 26, elle fut annulée[104].
Le Johnson Space Center de la NASA a enregistré des dégâts mineurs au toit du centre de contrôle des missions et à d’autres bâtisses. Les installations à Ellington Field ont également subi des dommages mineurs[105].
De l'Oklahoma aux Grands Lacs
Le , Ike avait perdu son caractère tropical en quittant le Texas. Ce cyclone extratropical est alors entré dans un creux barométrique d’altitude et s’est dirigé vers le nord-est tout en se redéveloppant. Les vents de ce système ont causé des dommages majeurs le long de la vallée de l'Ohio, à l’Est de la trajectoire alors que ce sont les pluies abondantes qui ont été le fait marquant à l'Ouest de celle-ci. Au total, les restes de l’ouragan Ike ont fait vingt-trois morts entre l’Oklahoma et les Grands Lacs[106].
Des vents de force d’ouragan dans l’échelle de Beaufort ont cassé de nombreux arbres et poteaux électriques, et endommagé de nombreux édifices au Kentucky, en Indiana, en Ohio et Pennsylvanie. La région de Louisville (Kentucky) a été déclarée en état d’urgence et l’aéroport international a été fermé temporairement. Un porte-parole de la compagnie d’électricité, LG&E, a déclaré qu’il s’agit des pires pannes en 30 ans dans la région[107].
Plus tard le même jour, ce fut au tour du gouverneur du Kentucky, Steve Beshear, de déclarer l’état d’urgence[108]. Ensuite, l’aéroport international de Cincinnati a été fermé temporairement et la tour de contrôle évacuée alors qu’on rapportait de nombreux dommages par le vent à Cincinnati. Des rafales de plus de 100 km/h ont été notées en Ohio et dans l’ouest de l’Indiana. Les maxima officiels sont de 121 km/h à l’aéroport de Columbus (Ohio) et de 130 km/h à Salem (Indiana), ce qui est équivalent à ceux d’un ouragan de catégorie 1. Une station non officielle à West Chester en Ohio a même rapporté 135 km/h[109]. Le , la plupart des écoles étaient fermées dans la région de Cincinnati, à la suite des pannes électriques. L’état d’urgence a également été déclaré dans l’Ohio[110].
Du point de vue des pannes électriques, en Arkansas environ 200 000 clients ont perdu l’électricité, la pire situation depuis un verglas massif en 2000[111]. Dans la région de Louisville (Kentucky), ce sont plus de 300 000 clients qui ont été privés d'électricité, la pire perte dans l’histoire de la compagnie locale de distribution d’électricité[107]. Dans le Cincinnati métropolitain, on a dénombré 927 000 clients sans courant, soit 90 % de la clientèle[112],[113]. En Ohio, entre 300 000 et 515 000 clients de la Dayton Power & Light Co. ont été privés de courant le à la suite des vents violents, de même que 660 000 autres dans le centre et le nord-est de l’État[114],[115]. Ailleurs, les pertes de courant se chiffrent en Illinois à 49 000, 350 000 en Indiana, 85 000 au Missouri, 180 000 dans l’Ouest de la Pennsylvanie et 100 000 dans l’État de New York[116],[117],[118],[119],[120]. Les dommages aux installations électriques ont été si importants que certains États comme le Kentucky ont dû demander l’aide d’équipes de l’extérieur, aussi loin que le Mississippi, pour rétablir le courant[121].
Des chutes de pluie abondantes ont affecté les régions à l’ouest de la trajectoire de la dépression, s’ajoutant, sur plusieurs secteurs de l’Illinois et de l’Indiana, à d’importantes quantités de pluie déjà reçues avec le creux barométrique[122]. Todd Stroger le président du conseil du comté de Cook, où se trouve Chicago, a déclaré l’état d’urgence à la suite d’inondations dans le comté.
Canada

La dépression qu’était devenue Ike est passé le long des Grands Lacs Érié et Ontario le , avant de longer la vallée du Saint-Laurent au Québec et de s’éloigner vers l’océan Atlantique au niveau de la mer du Labrador le 15. Elle a copieusement arrosé une bande de quelques centaines de kilomètres de large au nord de cette trajectoire, laissant des accumulations de pluie variant de 40 à 98 mm. Ces quantités s’ajoutèrent à celles d’une autre dépression ayant passé la veille.
Comme aux États-Unis, le prix de l’essence a connu une forte hausse de 10 à 20 cents le litre au Canada en prévision de dommages possibles aux installations de production du golfe du Mexique[123],[124]. Le Premier ministre canadien, Stephen Harper, en pleine campagne électorale, a esquivé les questions des journalistes à ce sujet[123].
- Ontario
En Ontario, l’aéroport de Windsor avait reçu 75,2 mm de pluie le , une quantité brisant le record de 1979 pour le jour-là[125]. Les restes de Ike ont apporté un autre 20 mm à l’aéroport et encore plus au nord[125]. La plupart des dommages dans la région de Windsor ont cependant été causés par les vents qui ont cassé des arbres et des poteaux du réseau électrique. Certaines rues ont cependant été inondées, rendant la circulation impossible[126]. Dans la région de la péninsule Bruce, entre le lac Huron et la baie Géorgienne, les quantités de pluie ont dépassé le 50 mm (voir carte) et des routes ont été emportées par le ruissellement. Le long de la rive des lacs Ontario et Érié, de la région de London à celles de Belleville, Brockville, Bancroft, Peterborough, Bowmanville et Huntsville, les journaux ont rapporté des arbres arrachés et des pannes électriques[127]. La région de Timmins, dans le nord-est ontarien, a également eu des dégâts par le vent[127].
- Québec
Au Québec, plusieurs régions au nord de la vallée du Saint-Laurent ont reçu de 50 à 70 mm de pluie (Hautes-Laurentides, Haute-Mauricie, Saguenay-Lac-Saint-Jean, Charlevoix et Côte-Nord). Le maximum a été signalé à une station météorologique automatique dans la Réserve faunique des Laurentides, au nord de la ville de Québec, avec plus de 90 mm[36].
Le long du Saint-Laurent, les accumulations n'ont été que de 10 à 30 mm, sauf à Québec où on a reçu 50 mm, dont la majorité est tombée entre 19 et 20h locale[36]. Cette pluie soudaine à Québec a causé des inondations locales car les égouts ne pouvaient fournir. Cela a forcé la fermeture temporaire de l’autoroute de la Capitale dans le secteur de Charlesbourg[128].
À Montréal, le passage du front chaud associé à la dépression a fait monter le taux d’humidité rapidement. Ceci a causé des courts-circuits dans le système électrique du métro, forçant l’arrêt d’une des lignes[129]. Les vents soufflant jusqu’à 78 km/h dans le secteur chaud ont également causé des pannes électriques et jusqu’à 25 000 clients d’Hydro-Québec ont perdu le courant à Montréal, en Estrie, en Montérégie et à Laval[130].
Ces mêmes vents ont fait couler le voilier « Océan » aux îles de la Madeleine, dans le golfe du Saint-Laurent, mais les six membres de l’équipage ont pu être secourus par la Garde côtière canadienne[130],[36].
Épilogue
Le , lors de l'assemblée du comité sur les cyclones tropicaux de l’Organisation météorologique mondiale, il a été décidé de retirer le nom Ike des listes futures à cause de l'importance des dommages et des pertes de vie. En 2014, ce sera donc le nom Isaias qui figurera sur cette liste[131],[132].
Notes et références
- (en) Robbie Berg, Hurricane Ike (AL092008), National Hurricane Center, coll. « Tropical Cyclone Report », , 55 p. (lire en ligne), p. 4.
- (en) « Storm Ike, 9th of season, forms in Atlantic », Reuters, (consulté le )
- (en) Scott DiSavino, « Energy market eyes Tropical Storm Ike in Atlantic », Reuters UK, (consulté le ).
- (en) « Cuban storms damage 'worst ever' », British Broadcasting Corporation, (consulté le )
- (en) Robbie Berg, « Hurricane Ike Tropical Cyclone Report », National Hurricane Center, (consulté le )[PDF]
- (en) Jeff Masters, « Ike finally dies », Wunderground (consulté le )
- Jeff Masters, « Ike's record size. », Weather Underground, (consulté le )
- (en) Mark Powell, « Ike Integrated Kinetic Energy. », NOAA, (consulté le )
- Jeff Masters, « Ike's storm surge extremes. », Weather Underground, (consulté le )
- (en) « Morphed Integrated Microwave Imagery at CIMSS (MIMIC) », Cooperative Institute for Meteorological Satellite Studies (consulté le )
- (en) Avila, « Tropical Depression Nine Discussion One », National Hurricane Center, 1er septembre 2008 à 15 h tu (consulté le )
- (en) Avila, « Tropical Storm Ike Discussion no 2 », National Hurricane Center, 1er septembre 2008 à 21 h tu (consulté le )
- (en) Roberts/Franklin, « Tropical Depression Nine Discussion no 3 », National Hurricane Center, 2 septembre 2008 à 3 h tu (consulté le )
- (en) Berg/Knabb, « Tropical Storm Ike Discussion no 5 », National Hurricane Center, 2 septembre 2008 à 15 h tu (consulté le )
- (en) Berg/Knabb, « Tropical Storm Ike Discussion no 6 », National Hurricane Center, 2 septembre 2008 à 21 h tu (consulté le )
- (en) Knabb, « Tropical Depression Nine Discussion no 9 », National Hurricane Center, 3 septembre 2008 à 15 h tu (consulté le )
- (en) Knabb, « Hurricane Ike Discussion no 7 », National Hurricane Center, 3 septembre 2008 à 21 h tu (consulté le )
- (en) Brown, « Hurricane Ike Special Discussion no 11 », National Hurricane Center, 4 septembre 2008 à 0 h tu (consulté le )
- (en) Joseph Guyler Delva, Tom Brown et Jane Sutton, « Ike strengthens into major hurricane », Reuters, (consulté le )
- (en) Brown, « Hurricane Ike Special Discussion no 12 », National Hurricane Center, 4 septembre 2008 à 3 h tu (consulté le )
- (en) Pasch, « Hurricane Ike Discussion no 13 », National Hurricane Center, 4 septembre 2008 à 9 h tu (consulté le )
- (en) Blake, « Hurricane Ike Discussion no 14 », National Hurricane Center, 4 septembre 2008 à 15 h tu (consulté le )
- (en) Knabb, « Hurricane Ike discussion no 17 », National Hurricane Center, (consulté le )
- (en) Roberts/Knabb, « Hurricane Ike Discussion no 18 », National Hurricane Center, (consulté le )
- (en) Roberts/Knabb, « Hurricane Ike Discussion no 21 », National Hurricane Center, (consulté le )
- (en) Rhome/Beven, « Hurricane Ike Discussion no 22 », National Hurricane Center, (consulté le )
- (en) Rhome/Beven, « Hurricane Ike Discussion no 23 », National Hurricane Center, 6 septembre à 21 h tu (consulté le )
- (en) Brown/Avila, « Hurricane Ike Discussion no 25 », National Hurricane Center, (consulté le )
- (en) Pasch, « Hurricane Ike Discussion no 28 », National Hurricane Center, 8 septembre 2008 à 3 h tu (consulté le )
- (en) Pasch/Berg, « Hurricane Ike Intermediate Advisory no 35A », National Hurricane Center, 10 septembre 2008 à 0 h tu (consulté le )
- (en) Pasch/Berg, « Hurricane Ike Intermediate Advisory no 36 », National Hurricane Center, 10 septembre 2008 à 3 h tu (consulté le )
- (en) Knabb/Berg, « Hurricane Ike Intermediate Advisory no 39 », National Hurricane Center, 10 septembre 2008 à 23 h tu (consulté le )
- (en) Beven/Rhome, « Hurricane Ike Intermediate Advisory no 48 », National Hurricane Center, 13 septembre 2008 à 7 h tu (consulté le )
- (en) Beven/Rhome, « Hurricane Ike Tropical Cyclone Update », National Hurricane Center, 13 septembre 2008 à 7 h 30 tu (consulté le )
- (fr) Fogarty, « Bulletin d'information sur la tempête post-tropicale Ike », Centre canadien de prévision d'ouragan, 14 septembre 2008 à 18 h tu (consulté le )
- Climat-Québec et Environnement Canada, « Restants de la dépression tropicale "Ike", 14-15 septembre 2008 », Climat-Québec, (consulté le )
- (fr) Agence France-Presse, « Evacuations en masse à Cuba pour l'ouragan Ike qui a fait 61 morts à Haïti », Google Actualités, (consulté le )
- (fr) « L'ouragan Ike quitte Cuba », Europe1, (consulté le )
- (en) « Powerful Hurricane Ike looms as trouble for Gulf », Associated Press, (consulté le )
- (en) « Hanna, Ike aim for East Coast », MSNBC, (consulté le )
- (en) Mike Carney, « Hurricane Ike: Bush declares emergency in Texas » [archive du ], USA Today, (consulté le )
- (fr) Radio-Canada, Agence France-Presse, Associated Press, Reuters et CNN, « Ouragan Ike : L'œil atteint la côte texane », Radio-Canada, (consulté le )
- (en) « More relief moves into Louisiana as other states brace for more storms », National Rural Water Association, (consulté le )
- (en) « States prepare for second hit while providing aid to Louisiana », National Rural Water Association, (consulté le )
- (en) « Texas Rural Water prepares for Hurricane Ike », National Rural Water Association, (consulté le )
- (en) « Ike Turns Northeast, Threat to SA, Corpus Christi Lessened », WOAI (AM), (consulté le )
- (en) « Galveston, part of Houston evacuated ahead of Ike », CNN, (consulté le )
- (en) « Hurricane Local Statement for IKE », Alerte cyclonique, National Weather Service,
- (en) « 'Certain death' warning over Ike », BBC News (consulté le )
- (en) « 'Certain death' for Texans caught in Ike's path, forecaster says », CBC News (consulté le )
- (en) « A Million Flee as Huge Storm Hits Texas Coast », New York Times,
- (en) « Experts: Giant Ike's Size Driving Massive Storm Surge », Associated Press (consulté le )
- (en) « Oil prices churn as Hurricane Ike approaches », CNN Money (consulté le )
- (en) Caribbean Disaster Emergency Response Agency, « Damage Assessment Report identifies Priority Needs for Turks and Caicos Islands », Relief Web, (consulté le )[PDF]
- (en) Associated Press, « Ike hits old Havana; overall death toll up to 80 », WAVE-TV, (consulté le )
- (en) Associated Press, « Ike's floods kill 48, cut off aid to parts of Haiti », CNN, (consulté le )
- (en) Mike Thompson, « One million homeless in Haiti », BBC News, (consulté le )
- (fr) Agence France-Presse, « Ouragan Ike - Haïti est aux prises avec la violence provoquée par la faim et par les vols », Le Devoir, (consulté le )
- (fr) Jeff Franks de Reuters, « L'ouragan Ike s'abat sur Cuba après avoir dévasté Haïti », Lycos, (consulté le )
- (en) Associated Press, « Hurricane Ike kills 7 in Cuba », USA Today, (consulté le )
- (fr) « Information officielle sur les dommages occasionnés par les ouragans Gustav et Ike (données préliminaires) », Granma (journal), (consulté le )
- « Cuba dans l’œil du cyclone », sur Le Monde diplomatique,
- (en) Daniel J. Yovich, « Remnants of Ike blamed for 13 deaths in Midwest », Associated Press, (consulté le )
- (en) « Two weeks after Ike, more than 400 are still missing », Lise Olsen (consulté le )
- (en) United Press International, « Search for Ike missing slows to crawl », (consulté le )
- Lise Olsen, « Two weeks after Ike, more than 400 are still missing », Houston Chronicle (consulté le )
- (en) Shiller, Dane, « Ike death toll increases as three bodies found », Houston Chronicle, (consulté le )
- (en) « Hurricane Ike victim found near Galveston », Houston Chronicle, 16 septembre 6 octobre 2008 (consulté le )
- Forsyth, Jim <, « 226 Still Missing Following Hurricane Ike: Many may never be found », WOAI-AM, (consulté le )
- (en) Flood, Mary; Mellon, Ericka, « Coast Guard aborts rescue mission of stranded freighter », Houston Chronicle, (consulté le )
- (en) Gretel C. Kovach, « Crew Trapped on Disabled Ship in Ike’s Wake », Newsweek, (consulté le )
- (en) « Adrift bulk freighter survives hurricane, awaits tow to port », United States Coast Guard, (consulté le )
- (fr) Agence France-Presse, « L'ouragan géant Ike s'abat sur le Texas », Google, (consulté le )
- (en) OilVoice.com, « OilVoice: 49 Gulf Platforms Destroyed by Ike, Reports MMS », OilVoice, (consulté le )
- (en) IHT.com, « 49 platforms destroyed by Ike », International Herald Tribune, (consulté le )
- (en) Dina Cappiello, Frank Bass et Cain Burdeau (Associated Press), « Ike enviromental toll », Yahoo,
- (en) Melinda Deslatte et Kevin McGill, « Louisiana coast floods as Ike heads west », KATC, (consulté le )
- (en) « Ike causes new round of power outages », The Times-Picayune, (consulté le )
- (en) Associated Press, « Most of Louisiana’s Coast Still Flooded by Ike » [archive du ], KALB-TV, (consulté le )
- (en) « Search and Rescue Operations Coordinated by LDWF Transport 363 Residents to Safety During Hurricane Ike's Pass Through State », (consulté le )
- (en) Associated Press, « Louisiana La. resident drowns in Ike's floodwaters », KPLC, (consulté le )
- (en) Associated Press, « Louisiana coast floods as Ike heads west », KATC, (consulté le )
- (en) Associated Press, « 2 Ike evacuees die in traffic crash », KATC, (consulté le )
- (en) Associated Press, « Ike-related storm deaths state by state », USA Today, (consulté le )
- (en) Mike Carney, Oren Dorell, « Hurricane Ike: Galveston says 25% ignored evacuation order », USA Today, (consulté le )
- (en) Mike Ahlers et. al., « One death as Ike edges toward Category 3 power », CNN, (consulté le )
- (en) « Texas prepares for an ominous Hurricane Ike », Los Angeles Times, (consulté le )
- (en) « Ike on track to make landfall closer to Houston/Galveston », KHOU TV, (consulté le )
- (en) Juan A. Lozano & Chris Duncan, Associated Press Writers, « Ike blasts Texas coast, floods homes, cuts power », Yahoo! NEWS, (consulté le )
- (en) Chris Baltimore, « Storm Ike moves on leaving extensive damage in Texas », Reuters/Comcast, (consulté le )
- (en) David Koenig et Ellen Simon (Associated Press), « Economic damage from Ike may be less than feared », Google NEWS, (consulté le )
- (en) SHAMBURGER/ERICKSON/BRAZZELL/LANDRENEAU/CARBONI/GRIFFIN, « Post Tropical Cyclone Report...Huriicane IKE », NOAA, (consulté le )
- (en) NOAA, « 2008 NOAA Tide Predictions: Galveston Bay entrance, south jetty - September tides », NOAA, (consulté le )
- (en) Ben Casselman, « As Waters Rise, Many Decline To Leave Galveston Island », The Wall Street Journal, (consulté le )
- (en) Monica Rhor (Associated Press), « Islanders who insisted on staying died in Ike », Houston Chronicle,, (consulté le )
- (fr) « Ike : l'heure du bilan », RFI, (consulté le )
- (en) « Crystal Beach looks like 'someone set a bomb off », KHOU, 15 septembre 2008 à 6 h 06 locale
- (en) « Video of damage on Bolivar Peninsula », KHOU
- (en) « Hurricane Ike Situation Report # 2 », (consulté le )
- (en) Brian K. Sullivan and Tom Korosec, « Hurricane Ike Batters Texas, 4.5 Million Lose Power (Update4) », Bloomberg, (consulté le )
- (en) Chris Duncan, « Ravens-Texans game rescheduled for Nov.9 », The Associated Press / Yahoo Sports, (consulté le )
- (en) BBC Sport, « Hurricane halts Houston's surge », BBC, (consulté le )
- (en)
- (en)
- (en) Journaliste, « Minor damage at NASA's Johnson Space Center », KHOU-TV, (consulté le )
- (en) « Ike's Death Toll Rises to 39 », KRIV, (consulté le )
- (en) News Staff, « "A significant amount of time" to restore power, LG&E says », Courier-Journal, (consulté le )
- (en) Jessica Noll, « Beshear Issues State Of Emergency For Ky. », WCPO, (consulté le )
- (en) National Weather Service à Wilmington, Ohio, « September 14 Widespread Damaging Winds », NOAA, (consulté le )
- (en) Office of the Governor, « Governor Strickland Declares State of Emergency », Gouvernement de l’Ohio, 15 septembre 28 octobre 2008
- (en) Betsey Martin, « 5:34 p.m. Update - Power Outages Reported Statewide », KARK, (consulté le )
- (en) Duke Power, « Duke Current Power Outages - Ohio », (consulté le )
- (en) Amber Ellis and Scott Wartman, « High winds knock out power », The Cincinnati Enquirer, (consulté le )
- Staff Reports, « More DP&L customers get power; about 90,000 still in dark », Dayton Daily News,
- (en) Associated Press, « 1 dead from Ike when tree falls on mobile home », Greeley Tribune, (consulté le )
- (en) Associated Press, « Thousands Still Without Power in Illinois », WTHI, (consulté le )
- (en) Staff Report, « Power Trouble Lingers After Ike Strikes Indiana », WRTV, (consulté le )
- (en) Staff Writer, « Remnants of Ike Leave Thousands Without Power in Missouri », St. Louis American, (consulté le )
- (en) News Staff, « Ike's Strong Winds, Power Outages Plague Pittsburgh Area », WTAE, (consulté le )
- (en) « Heavy winds lead to power outages », WCAX, (consulté le )
- (en) Staff Report, « Thousands still without power; winds blamed for Kentucky boy's death », Evansville Courier & Press, (consulté le )
- (en) Associated Press, « Hurricane remnants blamed for 3 deaths in Midwest », Bay Ledger, (consulté le )
- Presse canadienne, « Le prix de l'essence augmente au Canada », Canoë Inc. !série=Argent, (consulté le )
- (en) « Gas prices skyrocket again as Ike touches down », Canwest News Service, (consulté le )
- (fr) Service météorologique du Canada, « Précipitation totales quotidiennes pour septembre 2008 : aéroport de Windsor, Ontario », Environnement Canada, (consulté le )
- (en) Canwest Media, « Windsor storm topples trees », Windsor Star, (consulté le )
- (en) Canwest Media, « Ike's fury keeps 25,000 Ontarians in the dark », Ottawa Citizen, (consulté le )
- Journaliste, « Fortes pluies sur Québec », Radio-Canada (Québec), (consulté le )
- (fr) Journaliste, « Les restes d'Ike touchent le pays », Radio-Canada, (consulté le )
- (fr) Journaliste, « L'Océan coule à pic », Radio-Canada (Est du Québec), (consulté le )
- (en) « Retired Hurricane Names Since 1954 (2008 - Gustav, Ike, and Paloma) », NOAA, (consulté le )
- (fr) « Quatre noms d’ouragans rayés de la liste », Nouvelles, Organisation météorologique mondiale, (consulté le )
Sources
- (en) Cet article est partiellement ou en totalité issu de l’article de Wikipédia en anglais intitulé « Hurricane Ike » (voir la liste des auteurs).
Voir aussi
Articles connexes
Liens externes
- (en) « Bulletins à propos de IKE », sur National Hurricane Center (consulté le )
- (en) Bureau du National Weather Service de Dallas/Galveston, « Rapport sur Ike » (consulté le )
|
|
- Portail de la météorologie
- Portail des années 2000
- Portail de Cuba
- Portail des risques majeurs


